Приказ Министерства культуры Республики Крым от 05.06.2025 № 324-ОКН
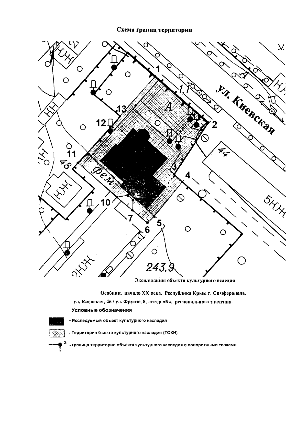
"Об утверждении границ территории, режимов использования земель в границах территории объекта культурного наследия регионального значения "Особняк", начало XX века, расположенного по адресу: Республика Крым, г. Симферополь, ул. Киевская, 46/ул. Фрунзе, 8, литер "Б"
(Зарегистрирован 18.06.2025 № 2493)
"Об утверждении границ территории, режимов использования земель в границах территории объекта культурного наследия регионального значения "Особняк", начало XX века, расположенного по адресу: Республика Крым, г. Симферополь, ул. Киевская, 46/ул. Фрунзе, 8, литер "Б"
(Зарегистрирован 18.06.2025 № 2493)
Номер опубликования: 9101202506190012
Дата опубликования:
19.06.2025
