Приказ Департамента Республики Саха (Якутия) по охране объектов культурного наследия от 02.09.2020 № 78-ОД
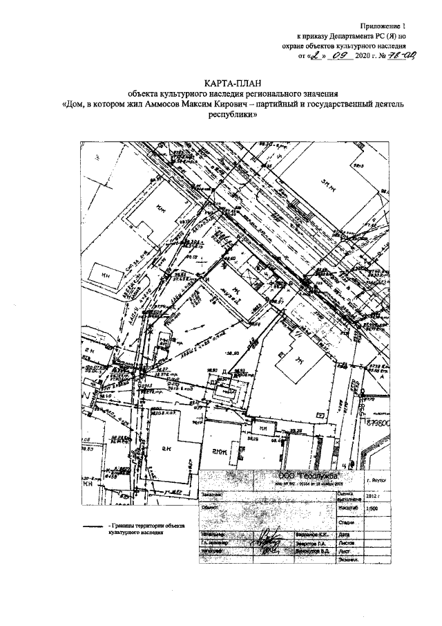
"Об утверждении границ территории объекта культурного наследия регионального значения "Дом, в котором жил Аммосов Максим Кирович – партийный и государственный деятель республики", расположенного по адресу: Республика Саха (Якутия), г. Якутск, ул. Аммосова, 3/4"
(Зарегистрирован 15.09.2020 № RU140142020415)
"Об утверждении границ территории объекта культурного наследия регионального значения "Дом, в котором жил Аммосов Максим Кирович – партийный и государственный деятель республики", расположенного по адресу: Республика Саха (Якутия), г. Якутск, ул. Аммосова, 3/4"
(Зарегистрирован 15.09.2020 № RU140142020415)
Номер опубликования: 1401202009150001
Дата опубликования:
15.09.2020
