Приказ Департамента Республики Саха (Якутия) по охране объектов культурного наследия от 27.11.2019 № 326-ОД
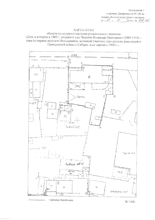
"Об утверждении границ территории объекта культурного наследия регионального значения "Дом, в котором в 1889 г. родился и жил Чепалов Владимир Николаевич (1889-1919) –один из первых якутских большевиков, активный участник трех русских революций и Гражданской войны в Сибири, член партии с 1906 г."
(Зарегистрирован 12.12.2019 № RU140142019950)
"Об утверждении границ территории объекта культурного наследия регионального значения "Дом, в котором в 1889 г. родился и жил Чепалов Владимир Николаевич (1889-1919) –один из первых якутских большевиков, активный участник трех русских революций и Гражданской войны в Сибири, член партии с 1906 г."
(Зарегистрирован 12.12.2019 № RU140142019950)
Номер опубликования: 1401201912160038
Дата опубликования:
16.12.2019
