Официальное опубликование правовых актов
ОФИЦИАЛЬНОЕ ОПУБЛИКОВАНИЕ
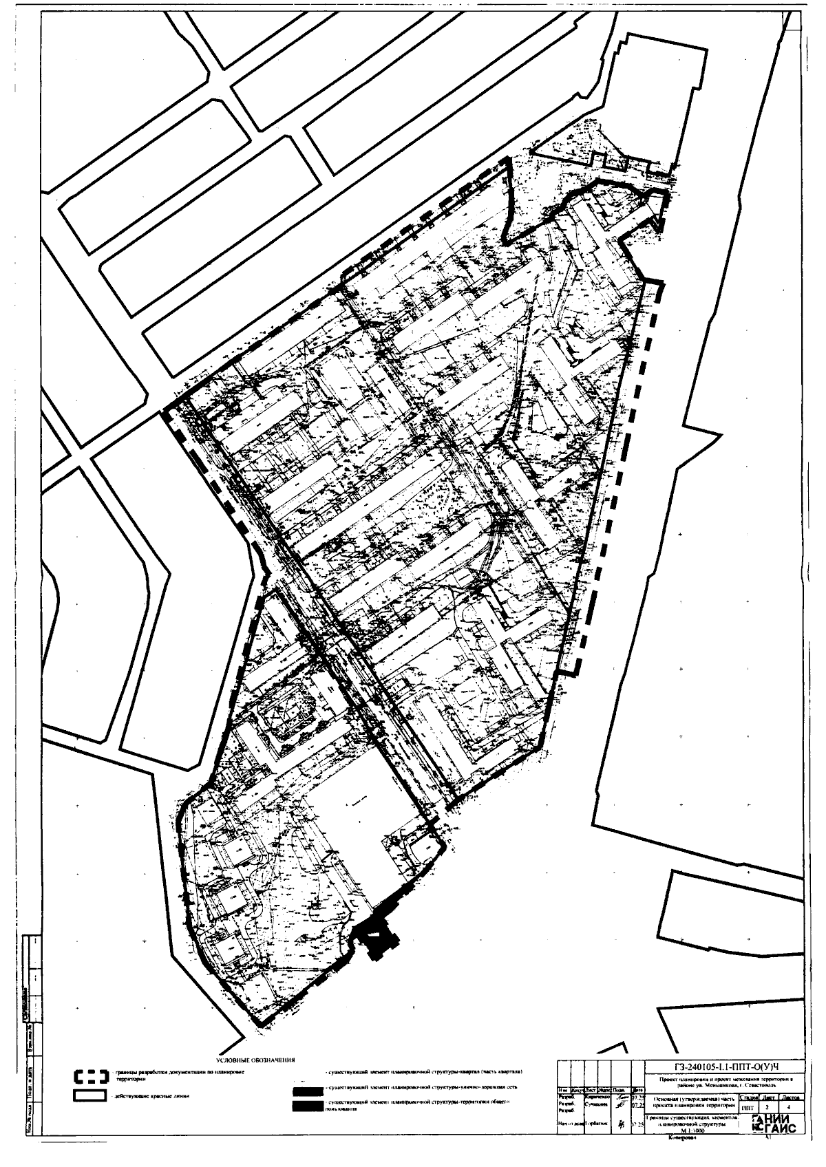
Постановление Правительства Севастополя от 19.08.2025 № 366-ПП
"Об утверждении документации по планировке территории "Проект планировки и проект межевания территории в районе ул. Меньшикова, г. Севастополь"
Номер опубликования: 9200202508250003
Дата опубликования: 25.08.2025
Страница №70 из 103:
Увеличить