Постановление Правительства Севастополя от 20.10.2022 № 517-ПП
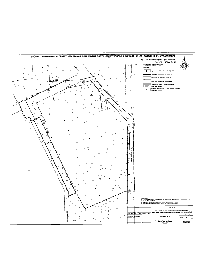
"Об утверждении документации по планировке территории "Проект планировки и проект межевания территории части кадастрового квартала 91:02:003001 в г. Севастополе"
"Об утверждении документации по планировке территории "Проект планировки и проект межевания территории части кадастрового квартала 91:02:003001 в г. Севастополе"
Номер опубликования: 9200202210280009
Дата опубликования:
28.10.2022
