Официальное опубликование правовых актов
ОФИЦИАЛЬНОЕ ОПУБЛИКОВАНИЕ
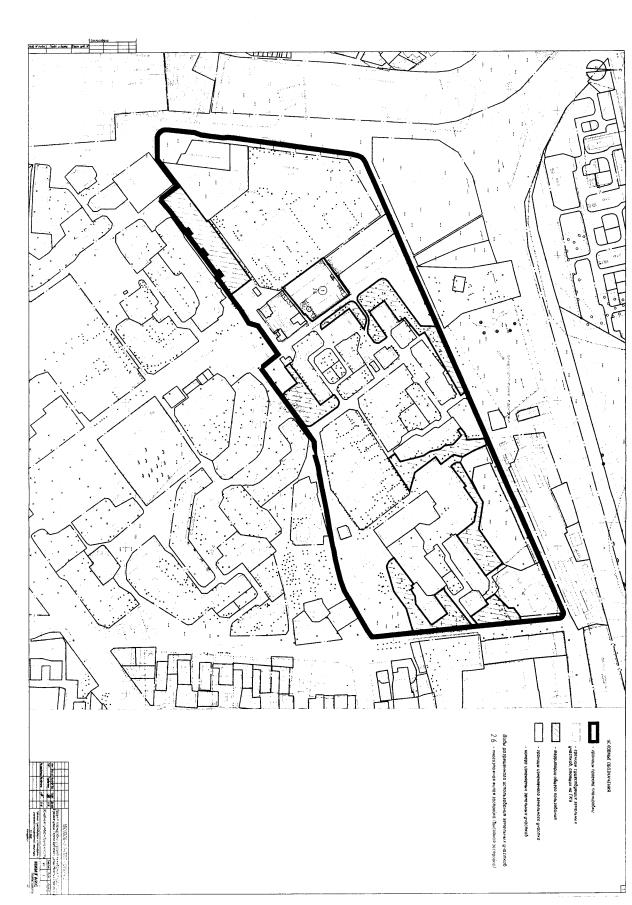
Постановление Правительства Севастополя от 04.03.2019 № 140-ПП "Об утверждении градостроительной документации "Проект планировки и проект межевания территории в районе ул. Тараса Шевченко — ул. Молодых строителей, г. Севастополь"
Номер опубликования: 9200201903110029
Дата опубликования: 11.03.2019
Страница №9 из 30:
Увеличить