Официальное опубликование правовых актов
ОФИЦИАЛЬНОЕ ОПУБЛИКОВАНИЕ
Постановление Правительства Севастополя от 06.12.2018 № 833-ПП
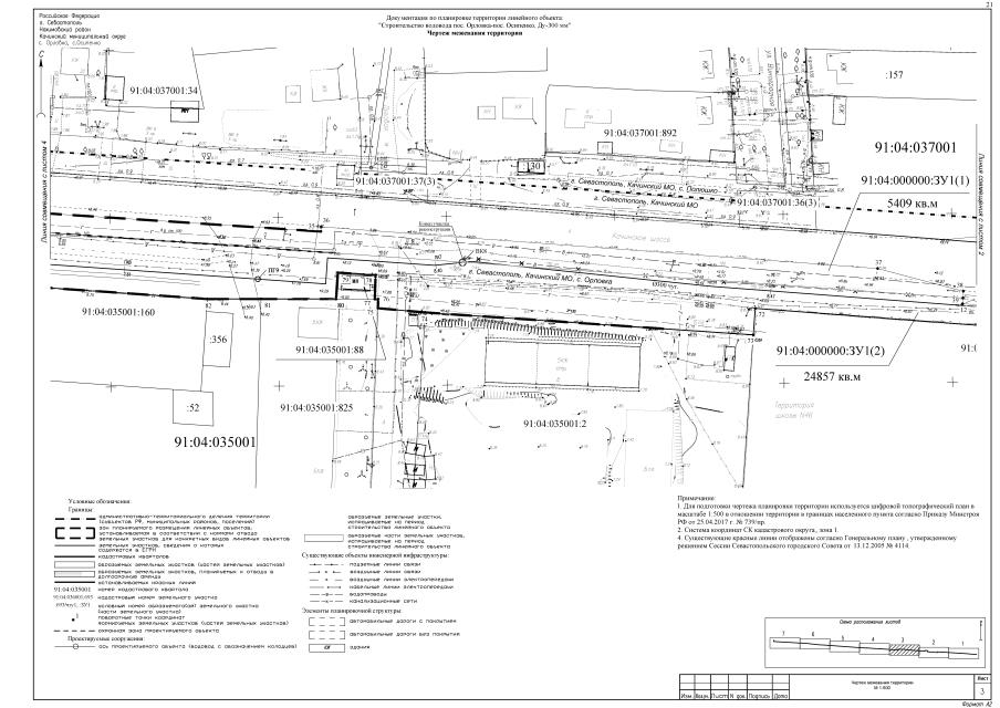
"Об утверждении градостроительной документации по проекту планировки и проекту межевания территории линейного объекта "Строительство водовода пос. Орловка – пос. Осипенко, Ду-300 мм" в Качинском внутригородском муниципальном округе"
Номер опубликования: 9200201812130021
Дата опубликования: 13.12.2018
Страница №86 из 96: