Приказ Министерства культуры Республики Крым от 21.11.2025 № 744-ОКН
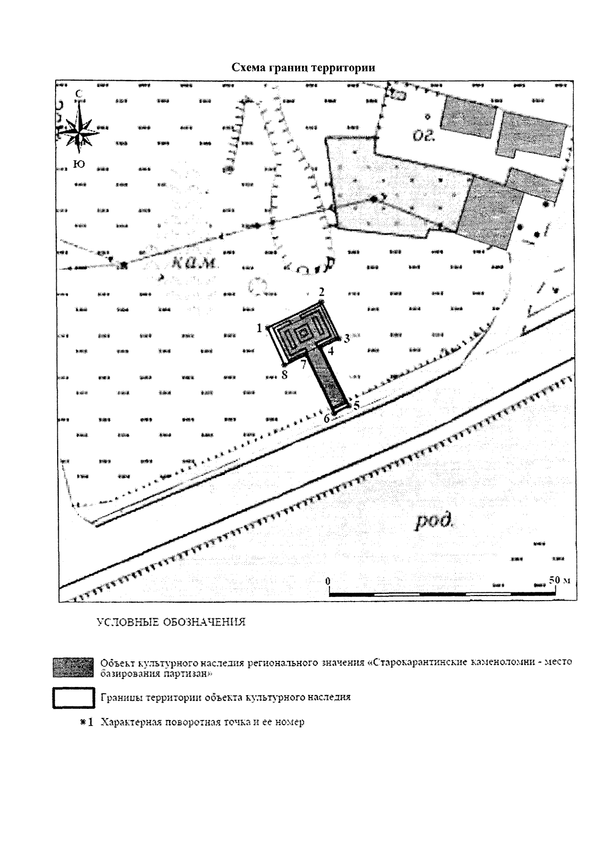
"Об утверждении границ территории, режимов использования земель в границах территории объекта культурного наследия регионального значения "Старокарантинские каменоломни – место базирования партизан", 1919 - 1920 годы, 1941 - 1944 годы, расположенного по адресу: Республика Крым, г. Керчь, ул. Орджоникидзе/ул. Юз-Обинская (район Аршинцево)"
(Зарегистрирован 27.11.2025 № 3005)
"Об утверждении границ территории, режимов использования земель в границах территории объекта культурного наследия регионального значения "Старокарантинские каменоломни – место базирования партизан", 1919 - 1920 годы, 1941 - 1944 годы, расположенного по адресу: Республика Крым, г. Керчь, ул. Орджоникидзе/ул. Юз-Обинская (район Аршинцево)"
(Зарегистрирован 27.11.2025 № 3005)
Номер опубликования: 9101202512010013
Дата опубликования:
01.12.2025
