Официальное опубликование правовых актов
ОФИЦИАЛЬНОЕ ОПУБЛИКОВАНИЕ
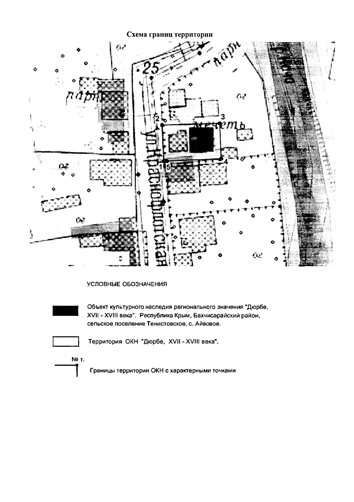
Приказ Министерства культуры Республики Крым от 18.04.2025 № 238-ОКН
"Об утверждении границ территории, режимов использования земель в границах территории объекта культурного наследия регионального значения "Дюрбе", XVII - XVIII века, расположенного по адресу: Республика Крым, Бахчисарайский район, сельское поселение Тенистовское, с. Айвовое"
(Зарегистрирован 28.04.2025 № 2370)
Номер опубликования: 9101202504290002
Дата опубликования: 29.04.2025
Страница №4 из 5:
Увеличить