Приказ Министерства культуры Республики Крым от 22.08.2024 № 419-ОКН
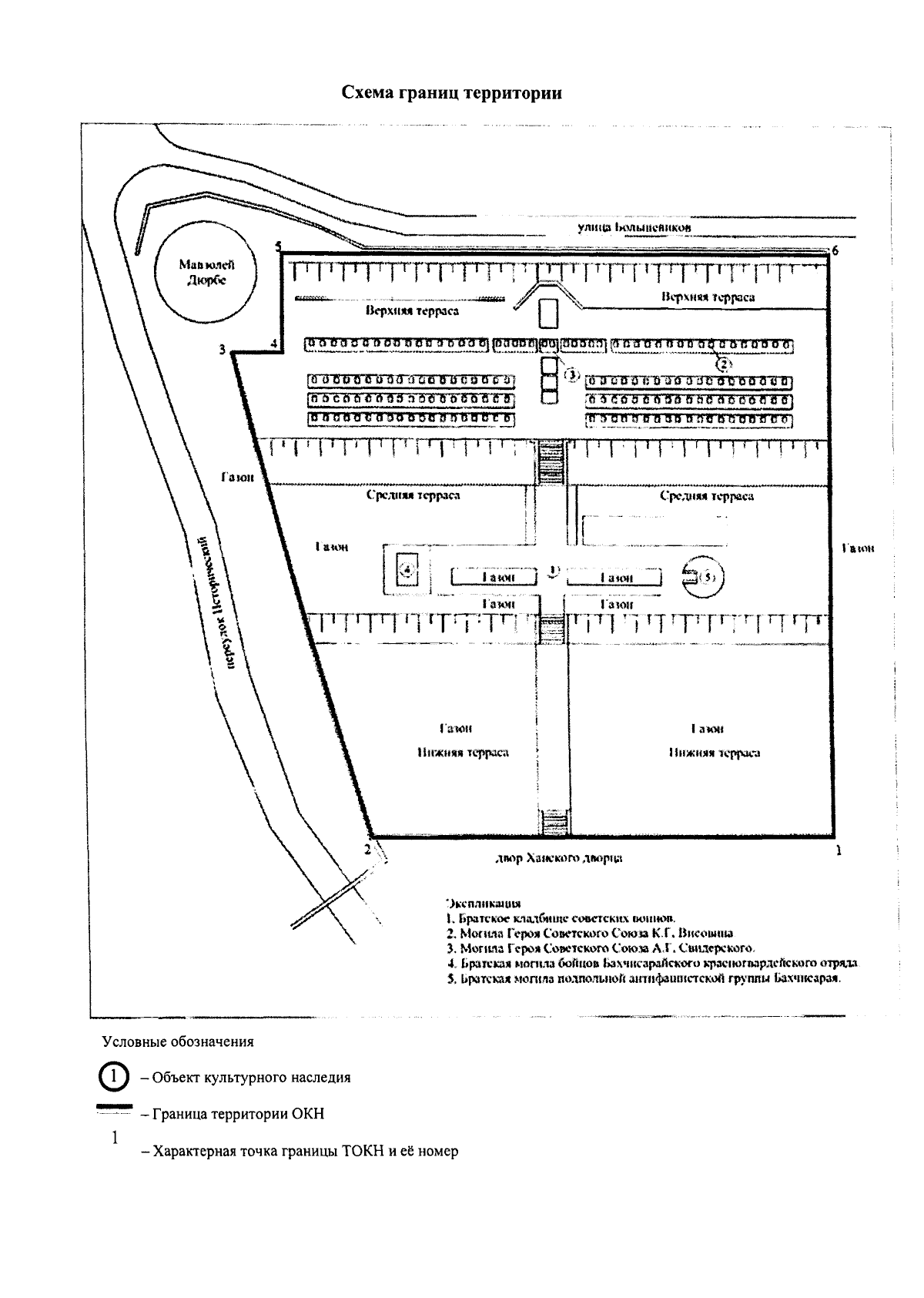
"Об утверждении границ территории, режимов использования земель в границах территории объекта культурного наследия регионального значения "Братское кладбище советских воинов, умерших в госпиталях и погибших в боях", 1944 год, 1948 год, 1957 год, расположенного по адресу: Республика Крым, г. Бахчисарай, ул. Речная, 133"
(Зарегистрирован 26.08.2024 № 1628)
"Об утверждении границ территории, режимов использования земель в границах территории объекта культурного наследия регионального значения "Братское кладбище советских воинов, умерших в госпиталях и погибших в боях", 1944 год, 1948 год, 1957 год, расположенного по адресу: Республика Крым, г. Бахчисарай, ул. Речная, 133"
(Зарегистрирован 26.08.2024 № 1628)
Номер опубликования: 9101202408280009
Дата опубликования:
28.08.2024
