Официальное опубликование правовых актов
ОФИЦИАЛЬНОЕ ОПУБЛИКОВАНИЕ
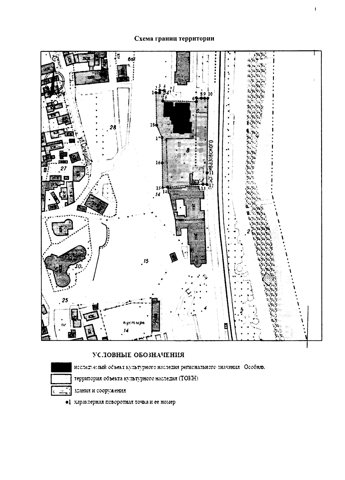
Приказ Министерства культуры Республики Крым от 08.08.2024 № 389-ОКН
"Об утверждении границ территории, режимов использования земель в границах территории объекта культурного наследия регионального значения "Особняк", начало XX века, расположенного по адресу: Республика Крым, г. Феодосия, пр-кт Айвазовского, 27, литеры "А", "а", "а1"
(Зарегистрирован 13.08.2024 № 1591)
Номер опубликования: 9101202408160005
Дата опубликования: 16.08.2024
Страница №4 из 5:
Увеличить