Приказ Министерства культуры Республики Крым от 24.04.2024 № 182-ОКН
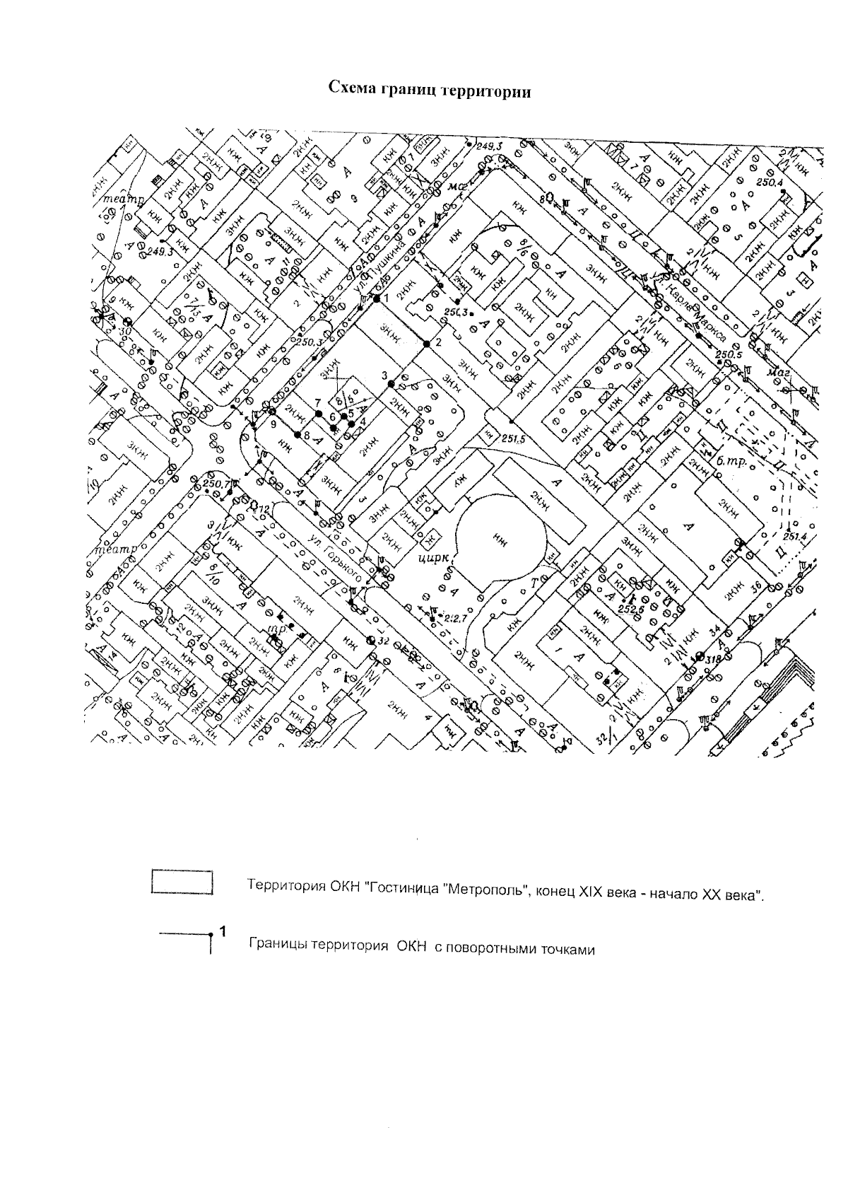
"Об утверждении границ территории, режимов использования земель в границах территории объекта культурного наследия регионального значения "Гостиница "Метрополь", конец XIX века - начало XX века, расположенного по адресу: Республика Крым, г. Симферополь, ул. Пушкина, 8/ул. Горького, 5, литеры "Е", "Е1"
(Зарегистрирован 26.04.2024 № 1380)
"Об утверждении границ территории, режимов использования земель в границах территории объекта культурного наследия регионального значения "Гостиница "Метрополь", конец XIX века - начало XX века, расположенного по адресу: Республика Крым, г. Симферополь, ул. Пушкина, 8/ул. Горького, 5, литеры "Е", "Е1"
(Зарегистрирован 26.04.2024 № 1380)
Номер опубликования: 9101202405030010
Дата опубликования:
03.05.2024
