Официальное опубликование правовых актов
ОФИЦИАЛЬНОЕ ОПУБЛИКОВАНИЕ
Приказ Министерства культуры Республики Крым от 24.04.2024 № 186-ОКН
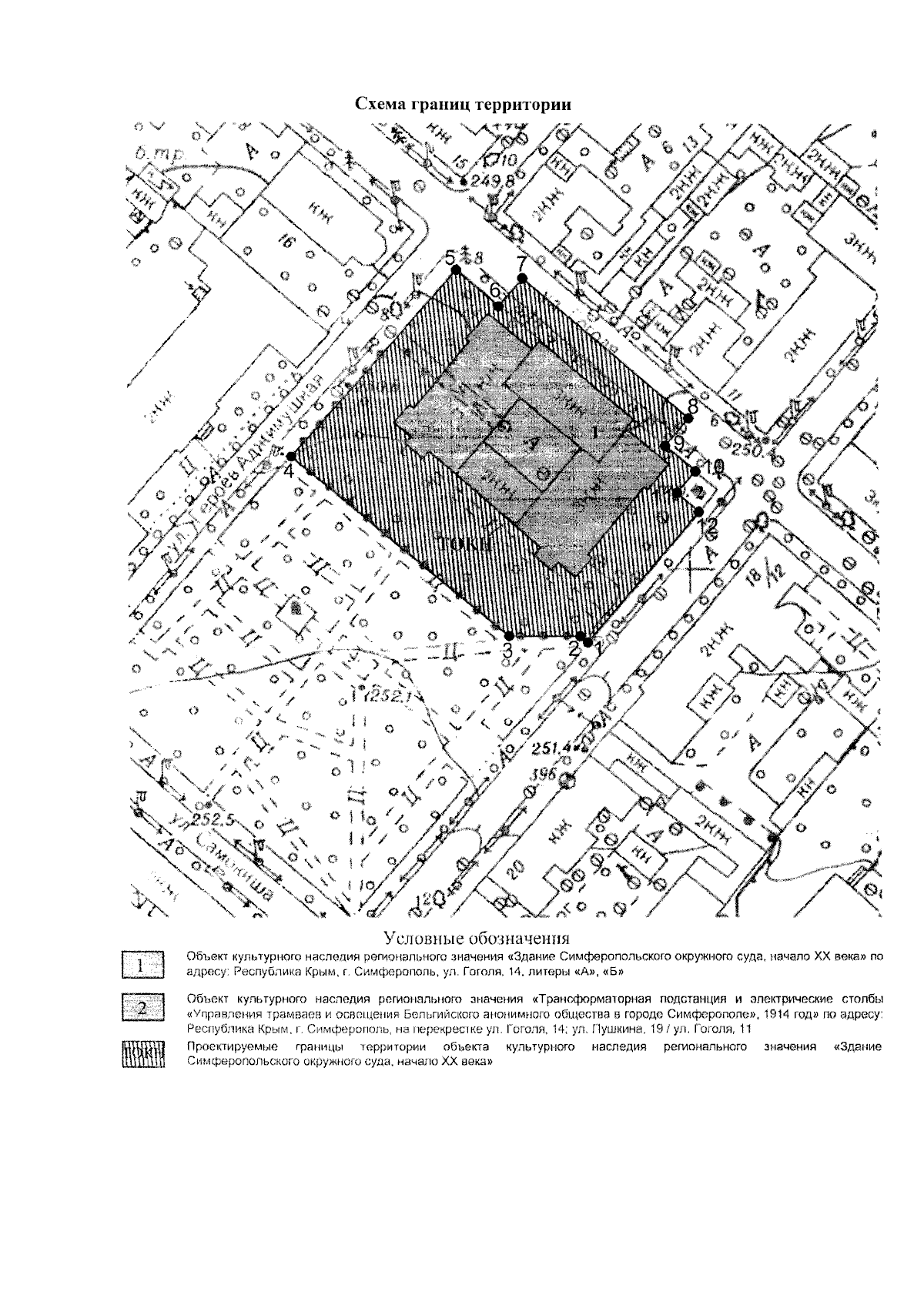
"Об утверждении границ территории, режимов использования земель в границах территории объекта культурного наследия регионального значения "Здание Симферопольского окружного суда (архитекторы В.А. Геккер, В.А. Пруссаков)", начало XX века, расположенного по адресу: Республика Крым, г. Симферополь, ул. Гоголя, 14, литеры "А", "Б"
(Зарегистрирован 26.04.2024 № 1384)
Номер опубликования: 9101202405030009
Дата опубликования: 03.05.2024
Страница №4 из 6:
Увеличить