Официальное опубликование правовых актов
ОФИЦИАЛЬНОЕ ОПУБЛИКОВАНИЕ
Приказ Министерства культуры Республики Крым от 19.12.2023 № 617-окн
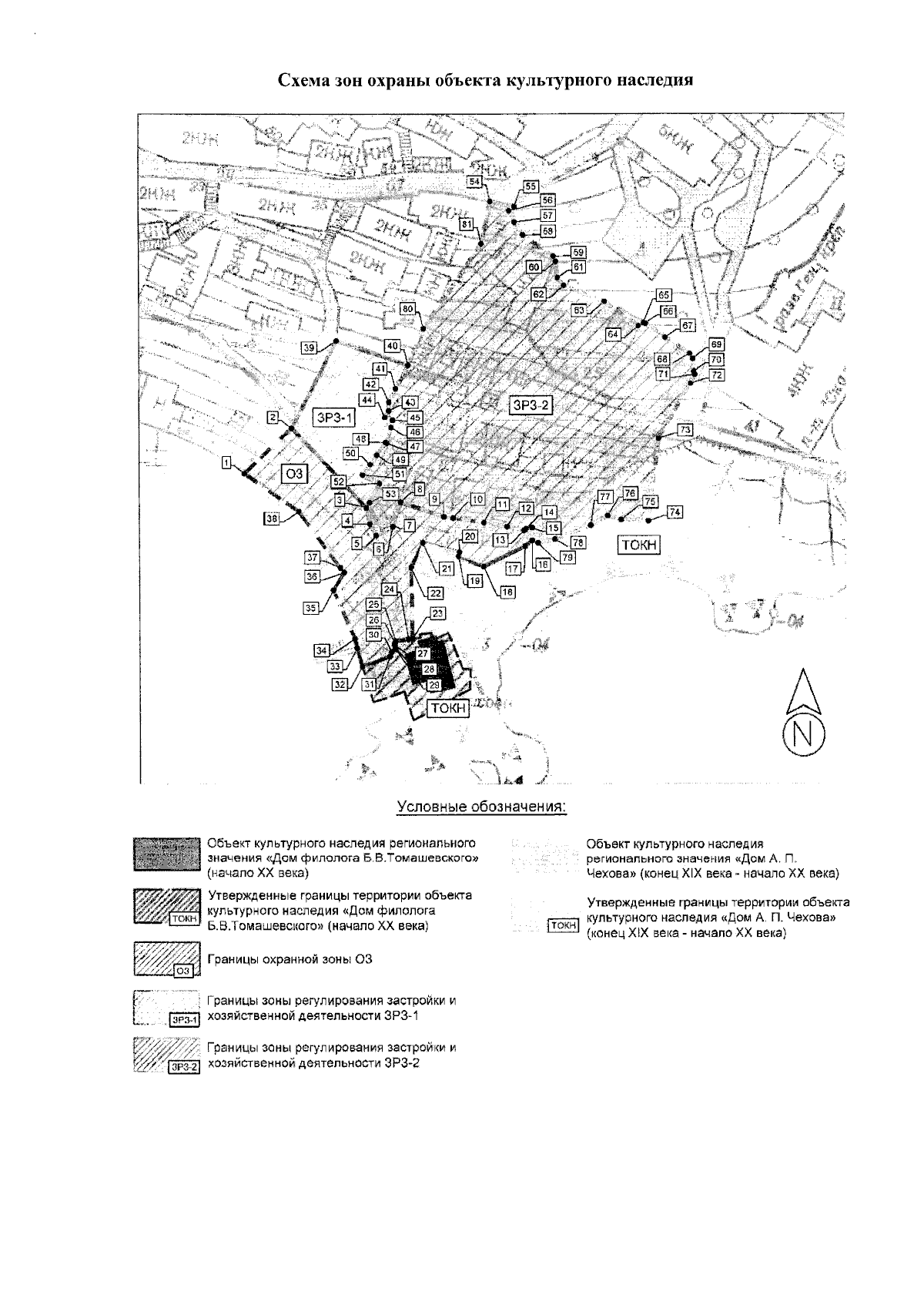
"Об утверждении границ зон охраны, режимов использования земель и требований к градостроительным регламентам в границах зон охраны объекта культурного наследия регионального значения "Дом филолога Б.В. Томашевского", начало XX века", расположенного по адресу: Республика Крым, городской округ Ялта, пгт Гурзуф, ул. Чехова, 24, литер "А"
(Зарегистрирован 21.12.2023 № 1044)
Номер опубликования: 9101202312270067
Дата опубликования: 27.12.2023
Страница №7 из 11:
Увеличить