Официальное опубликование правовых актов
ОФИЦИАЛЬНОЕ ОПУБЛИКОВАНИЕ
Приказ Министерства культуры Республики Крым от 16.07.2021 № 287-окн
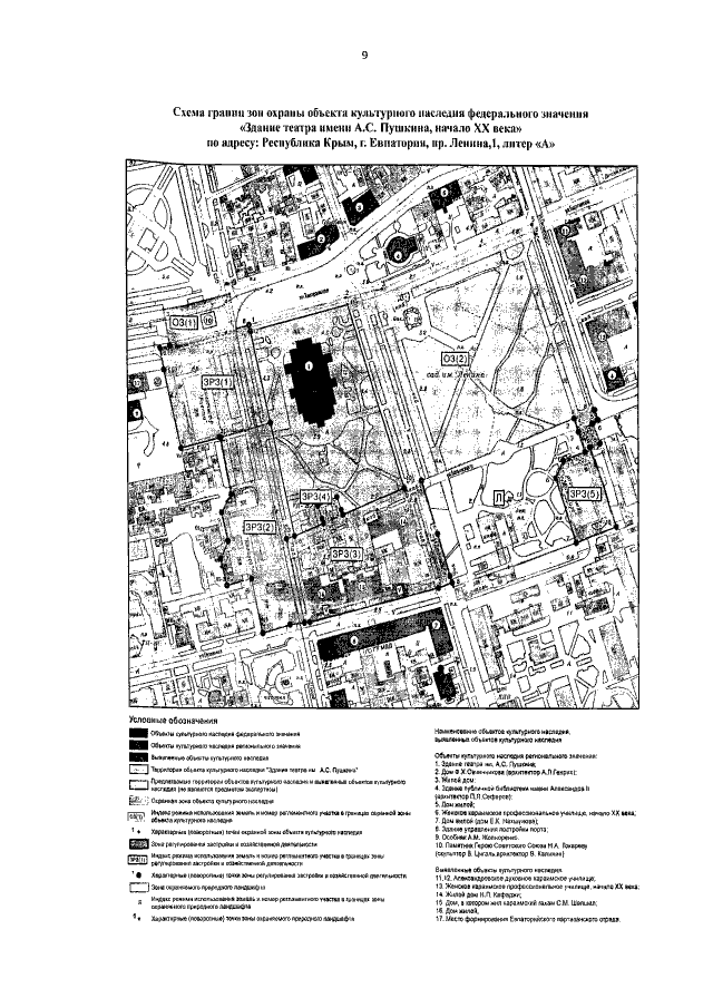
"Об утверждении границ зон охраны, режимов использования земель и требований к градостроительным регламентам в границах зон охраны объекта культурного наследия федерального значения "Здание театра им. А.С. Пушкина, 1908-1910 годы", расположенного по адресу: Республика Крым, г. Евпатория, просп. Ленина, д. 1, литера "А"
Номер опубликования: 9101202107190005
Дата опубликования: 19.07.2021
Страница №8 из 14:
Увеличить