Приказ Службы государственной охраны объектов культурного наследия Ямало-Ненецкого автономного округа от 24.01.2024 № 2
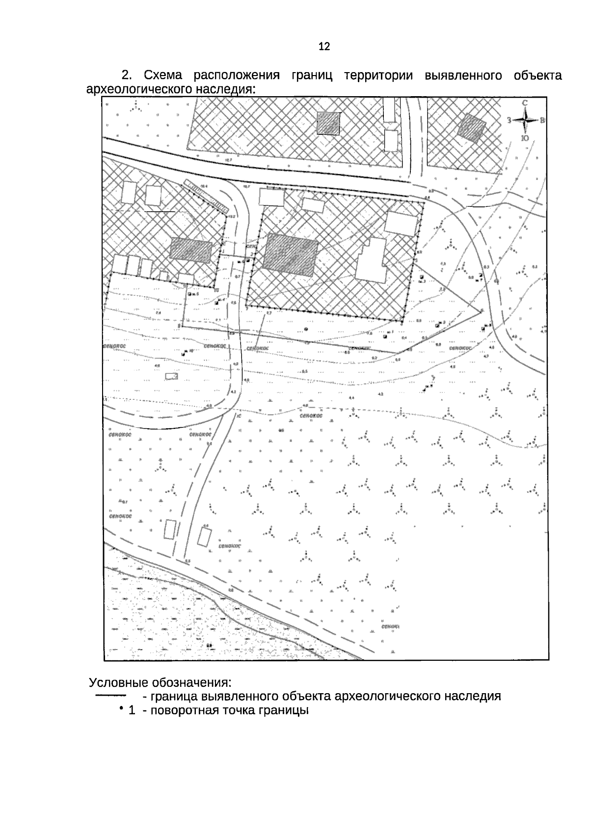
"Об утверждении границ территорий выявленных объектов археологического наследия"
(Зарегистрирован 25.01.2024 № 14)
"Об утверждении границ территорий выявленных объектов археологического наследия"
(Зарегистрирован 25.01.2024 № 14)
Номер опубликования: 8901202401250003
Дата опубликования:
25.01.2024
