Распоряжение Комитета по государственному контролю, использованию и охране памятников истории и культуры от 25.10.2024 № 1320-рп
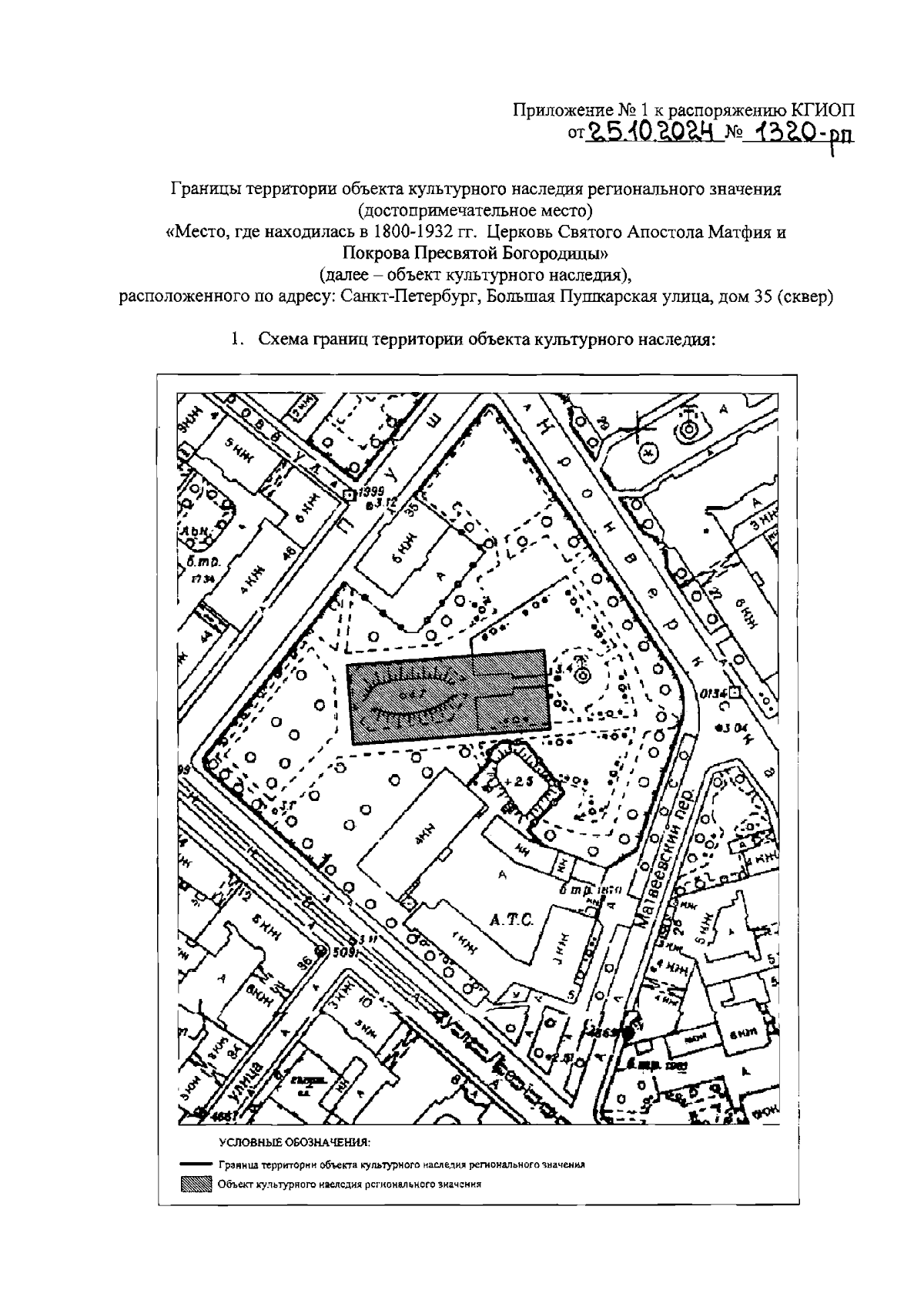
"О включении выявленного объекта культурного наследия в единый государственный реестр объектов культурного наследия (памятников истории и культуры) народов Российской Федерации в качестве объекта культурного наследия регионального значения (достопримечательное место) "Место, где находилась в 1800-1932 гг. Церковь Святого Апостола Матфия и Покрова Пресвятой Богородицы", об утверждении границ и режима использования территории объекта культурного наследия, об утверждении предмета охраны объекта культурного наследия"
(Зарегистрирован 29.10.2024 № 49184)
"О включении выявленного объекта культурного наследия в единый государственный реестр объектов культурного наследия (памятников истории и культуры) народов Российской Федерации в качестве объекта культурного наследия регионального значения (достопримечательное место) "Место, где находилась в 1800-1932 гг. Церковь Святого Апостола Матфия и Покрова Пресвятой Богородицы", об утверждении границ и режима использования территории объекта культурного наследия, об утверждении предмета охраны объекта культурного наследия"
(Зарегистрирован 29.10.2024 № 49184)
Номер опубликования: 7801202410310005
Дата опубликования:
31.10.2024
