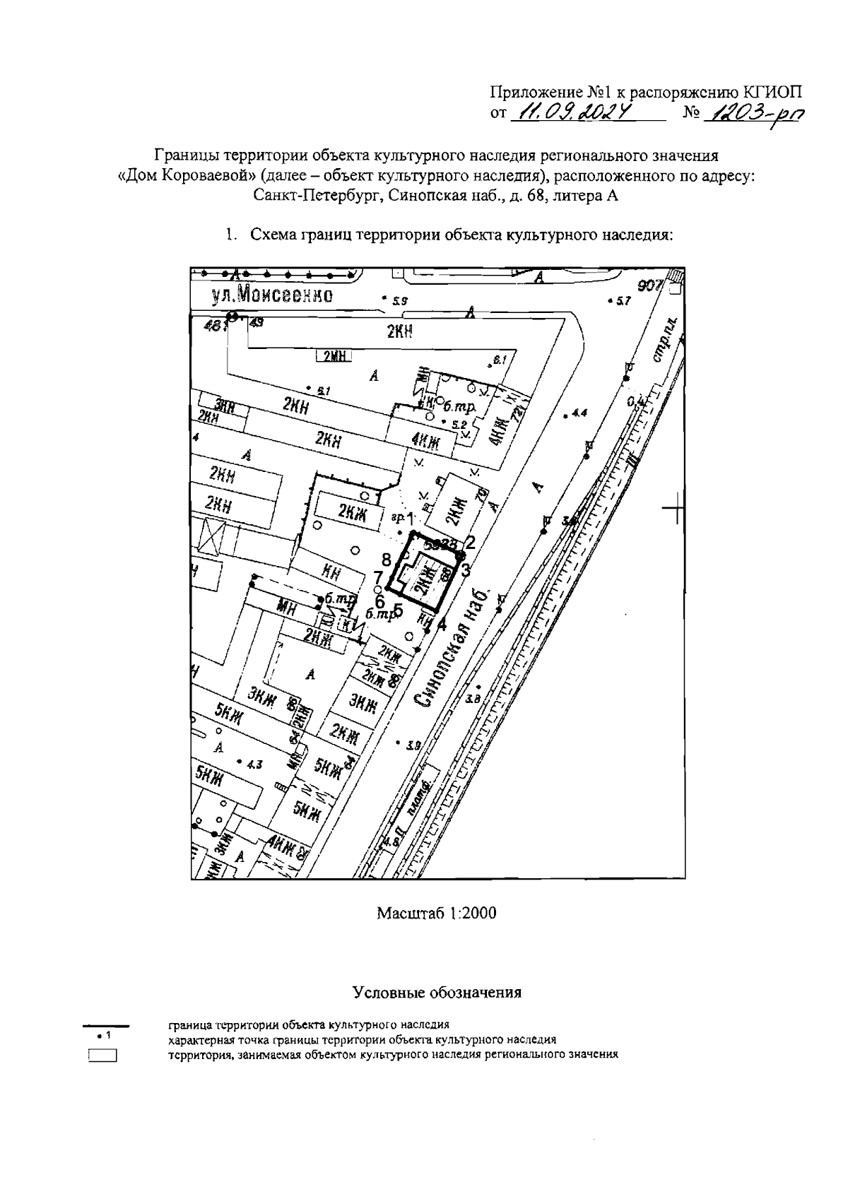
Распоряжение Комитета по государственному контролю, использованию и охране памятников истории и культуры от 11.09.2024 № 1203-рп
"Об утверждении границ и режима использования территории объекта культурного наследия регионального значения "Дом Короваевой"
(Зарегистрирован 12.09.2024 № 48902)
"Об утверждении границ и режима использования территории объекта культурного наследия регионального значения "Дом Короваевой"
(Зарегистрирован 12.09.2024 № 48902)
Номер опубликования: 7801202409130026
Дата опубликования:
13.09.2024
