Официальное опубликование правовых актов
ОФИЦИАЛЬНОЕ ОПУБЛИКОВАНИЕ
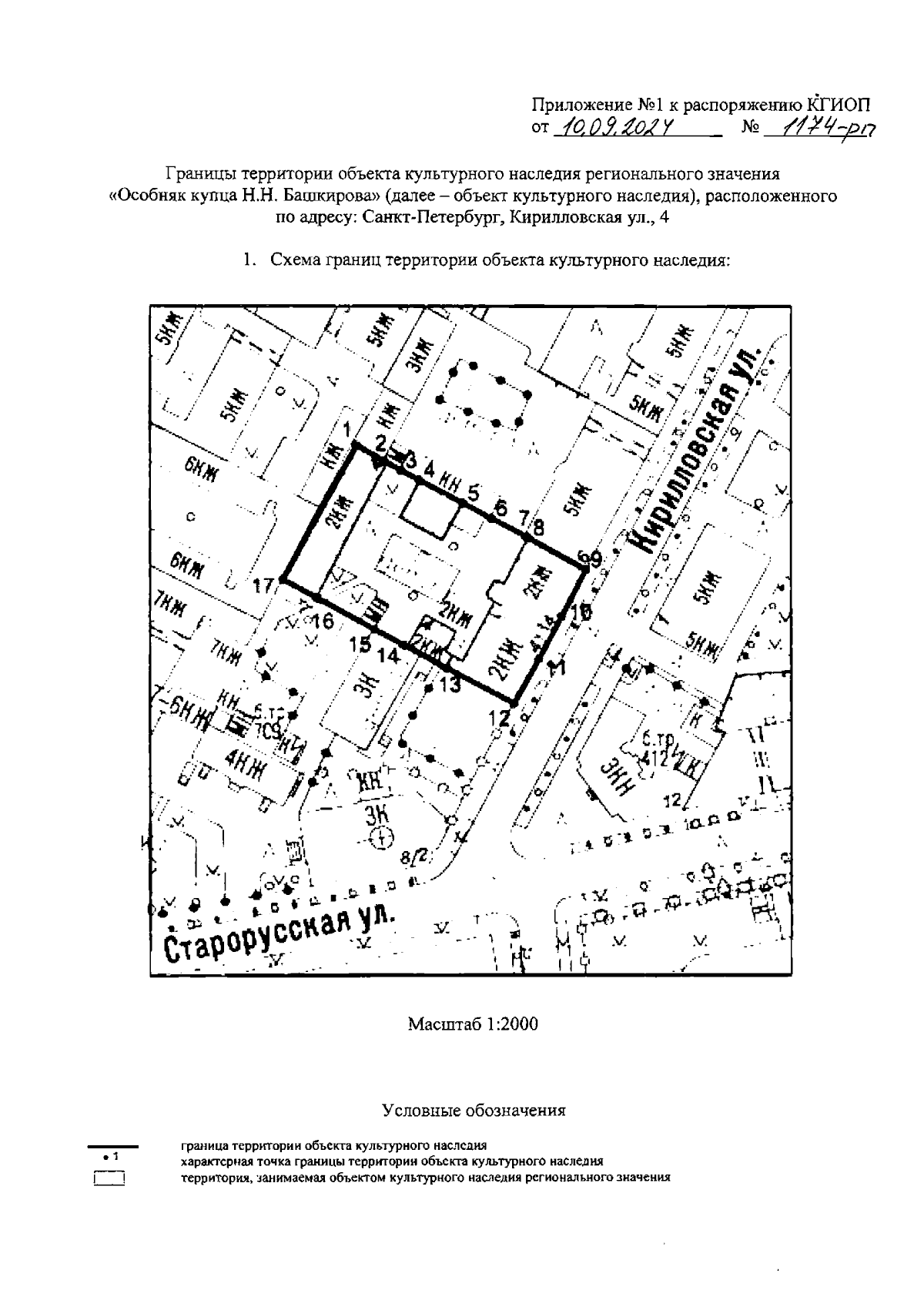
Распоряжение Комитета по государственному контролю, использованию и охране памятников истории и культуры от 10.09.2024 № 1174-рп
"Об утверждении границ и режима использования территории объекта культурного наследия регионального значения "Особняк купца Н.Н. Башкирова"
(Зарегистрирован 11.09.2024 № 48864)
Номер опубликования: 7801202409120033
Дата опубликования: 12.09.2024
Страница №3 из 5:
Увеличить