Распоряжение Комитета по государственному контролю, использованию и охране памятников истории и культуры Санкт-Петербурга от 22.07.2024 № 990-рп
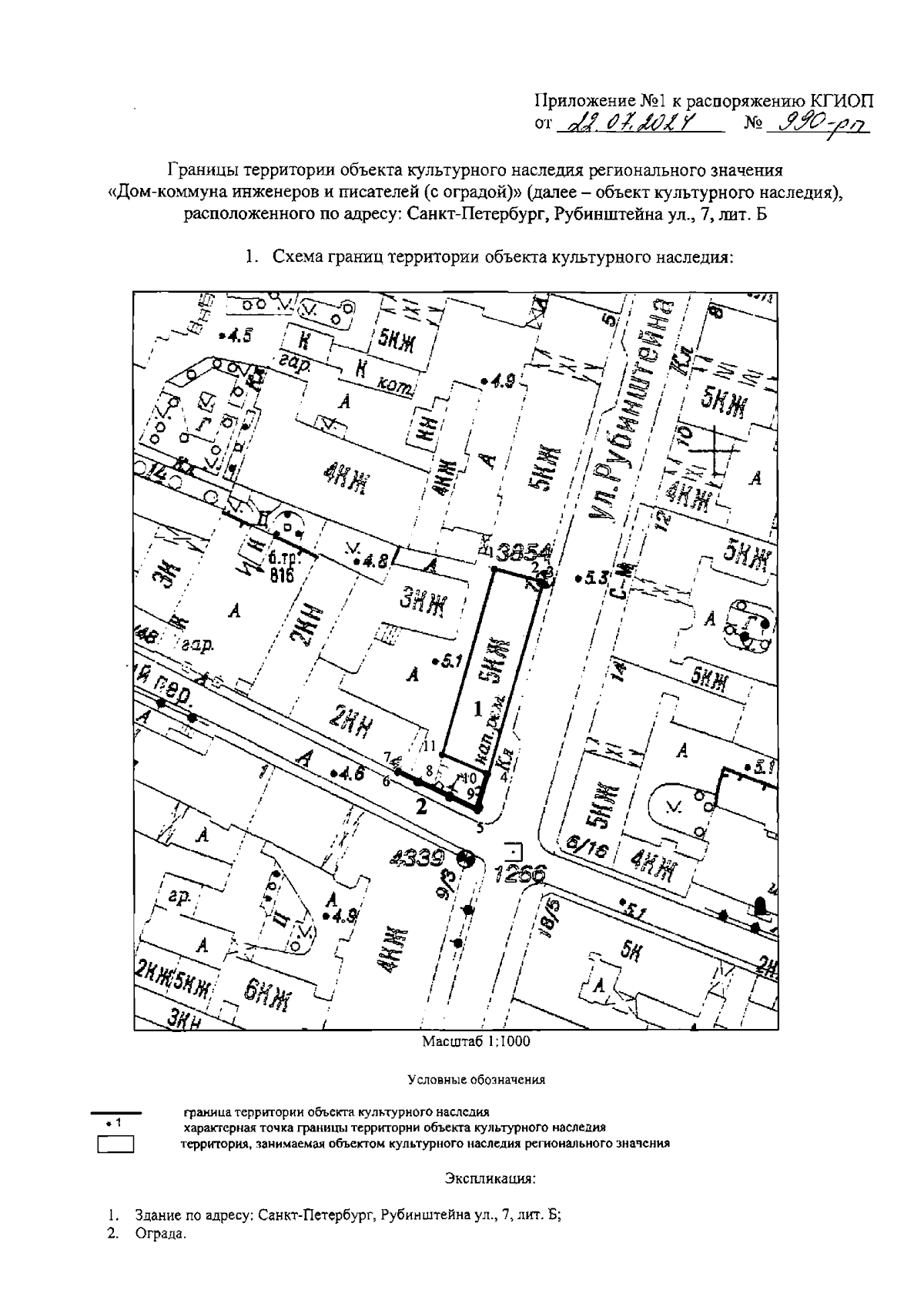
"Об утверждении границ и режима использования территории объекта культурного наследия регионального значения "Дом-коммуна инженеров и писателей (с оградой)"
(Зарегистрирован 24.07.2024 № 48506)
"Об утверждении границ и режима использования территории объекта культурного наследия регионального значения "Дом-коммуна инженеров и писателей (с оградой)"
(Зарегистрирован 24.07.2024 № 48506)
Номер опубликования: 7801202407260010
Дата опубликования:
26.07.2024
