Официальное опубликование правовых актов
ОФИЦИАЛЬНОЕ ОПУБЛИКОВАНИЕ
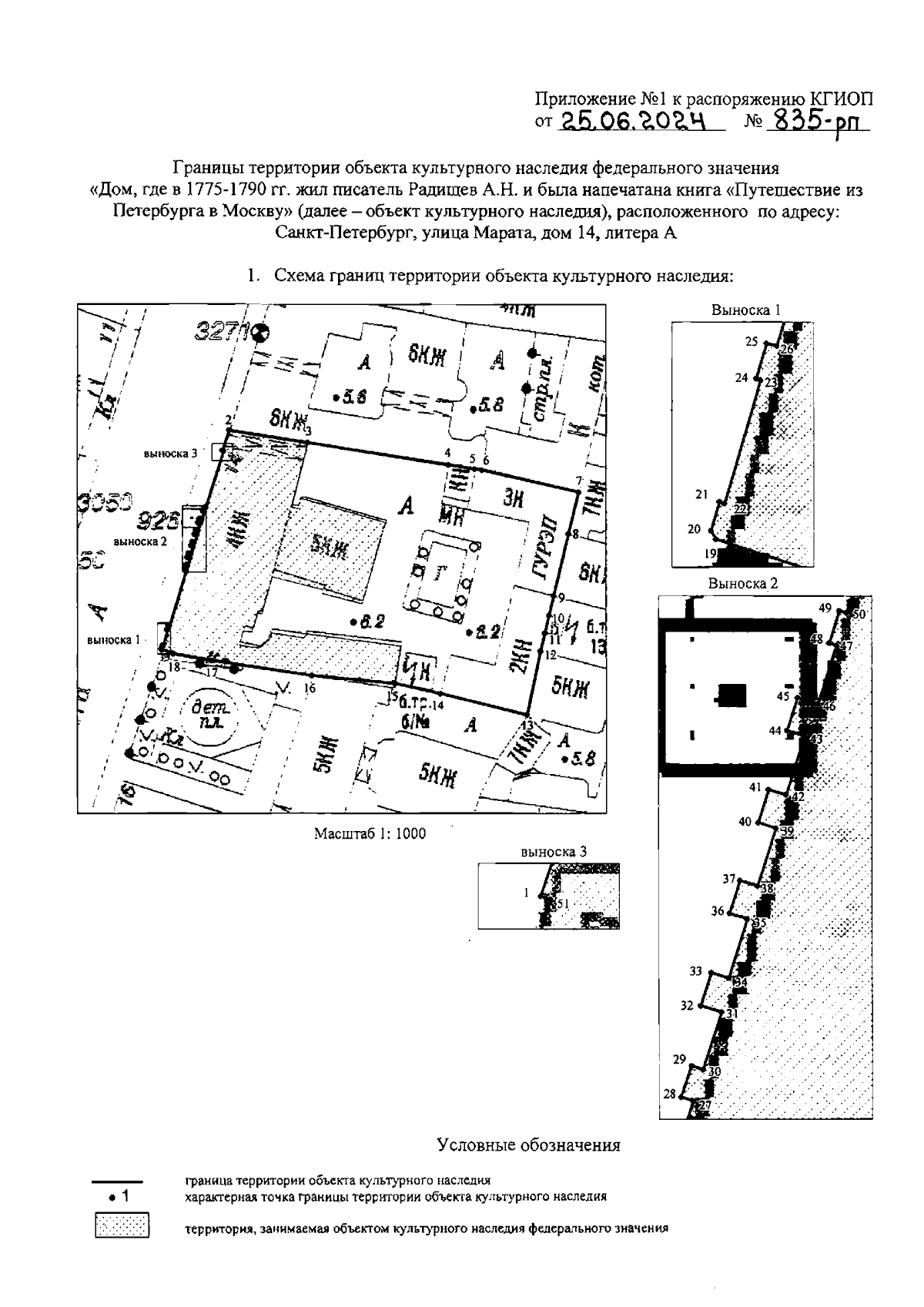
Распоряжение Комитета по государственному контролю, использованию и охране памятников истории и культуры Санкт-Петербурга от 25.06.2024 № 835-рп
"Об утверждении границ и режима использования территории объекта культурного наследия федерального значения "Дом, где в 1775-1790 гг. жил писатель Радищев А.Н. и была напечатана книга "Путешествие из Петербурга в Москву"
(Зарегистрирован 26.06.2024 № 48241)
Номер опубликования: 7801202407010004
Дата опубликования: 01.07.2024
Страница №3 из 6:
Увеличить