Официальное опубликование правовых актов
ОФИЦИАЛЬНОЕ ОПУБЛИКОВАНИЕ
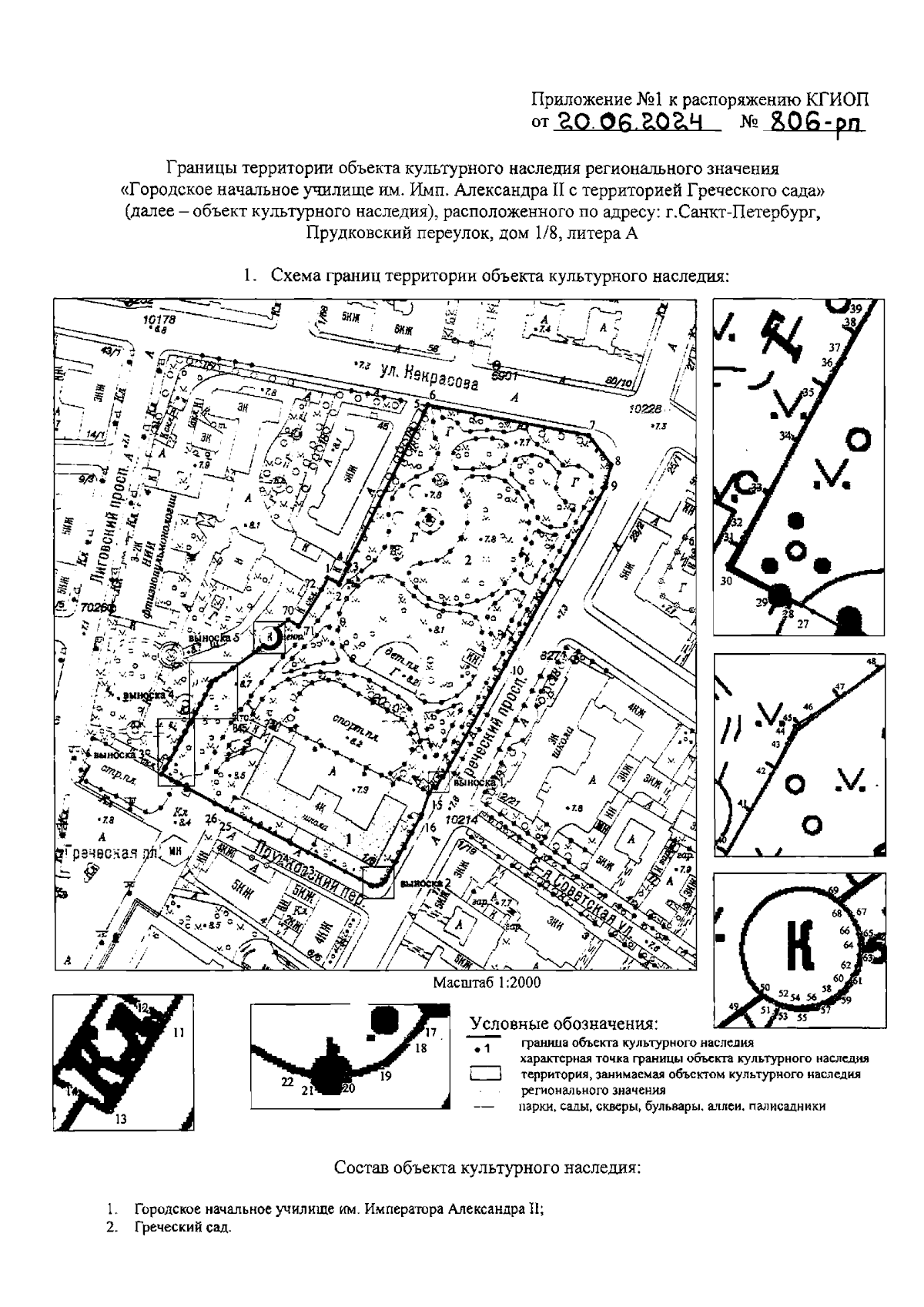
Распоряжение Комитета по государственному контролю, использованию и охране памятников истории и культуры Санкт-Петербурга от 20.06.2024 № 806-рп
"Об утверждении границ и режима использования территории объекта культурного наследия регионального значения "Городское начальное училище им. Имп. Александра II с территорией Греческого сада"
(Зарегистрирован 21.06.2024 № 48183)
Номер опубликования: 7801202406240010
Дата опубликования: 24.06.2024
Страница №3 из 6:
Увеличить