Распоряжение Комитета по государственному контролю, использованию и охране памятников истории и культуры Санкт-Петербурга от 20.06.2024 № 805-рп
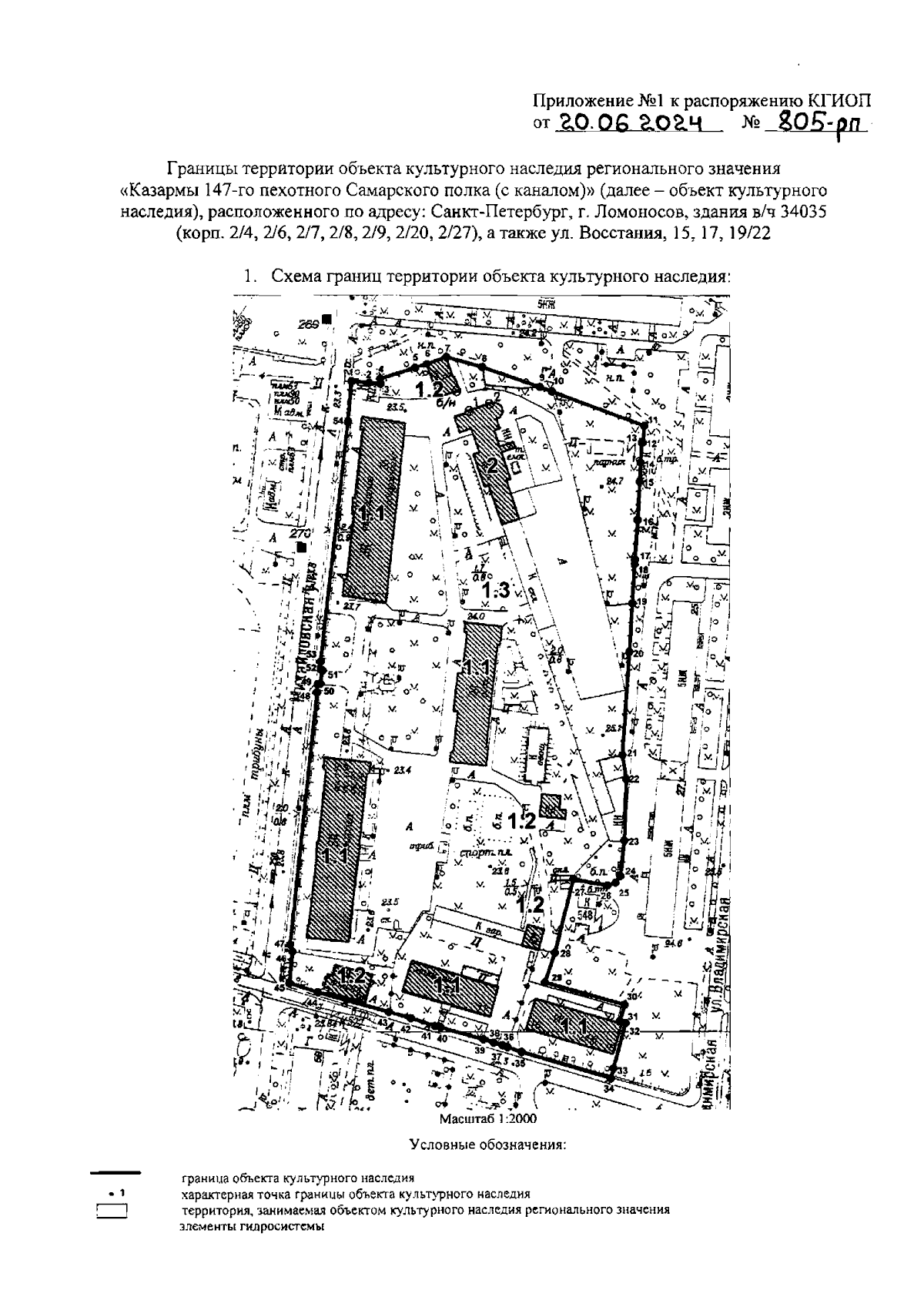
"Об утверждении границ и режима использования территории объекта культурного наследия регионального значения "Казармы 147-го пехотного Самарского полка (с каналом)"
(Зарегистрирован 20.06.2024 № 48177)
"Об утверждении границ и режима использования территории объекта культурного наследия регионального значения "Казармы 147-го пехотного Самарского полка (с каналом)"
(Зарегистрирован 20.06.2024 № 48177)
Номер опубликования: 7801202406240004
Дата опубликования:
24.06.2024
