Официальное опубликование правовых актов
ОФИЦИАЛЬНОЕ ОПУБЛИКОВАНИЕ
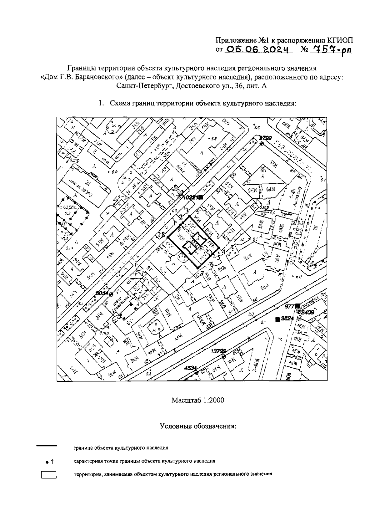
Распоряжение Комитета по государственному контролю, использованию и охране памятников истории и культуры Санкт-Петербурга от 05.06.2024 № 757-рп
"Об утверждении границ и режима использования территории объекта культурного наследия регионального значения "Дом Г.В. Барановского"
(Зарегистрирован 06.06.2024 № 48067)
Номер опубликования: 7801202406110004
Дата опубликования: 11.06.2024
Страница №3 из 5:
Увеличить