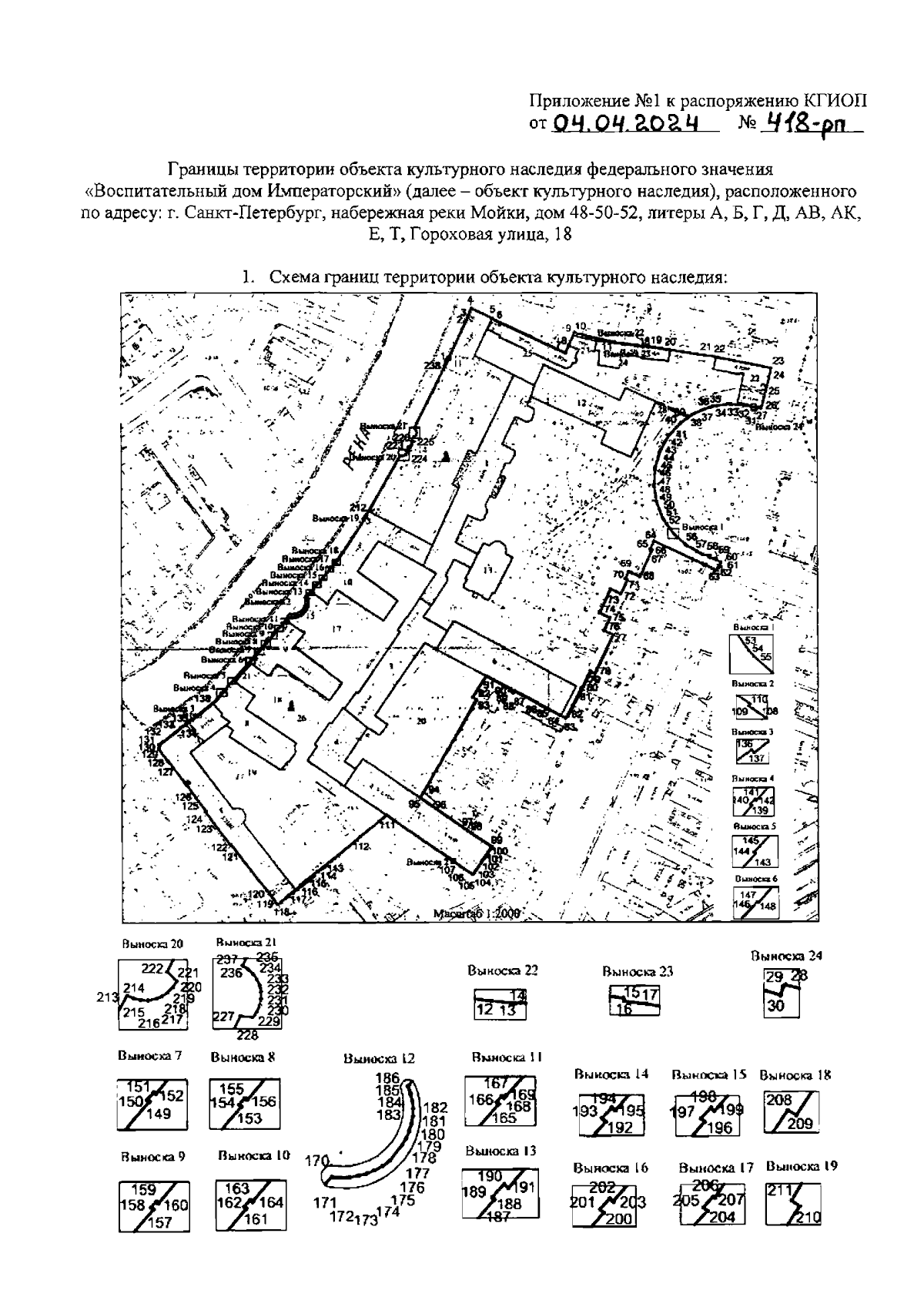
Распоряжение Комитета по государственному контролю, использованию и охране памятников истории и культуры Санкт-Петербурга от 04.04.2024 № 418-рп
"Об утверждении границ и режима использования территории объекта культурного наследия федерального значения "Воспитательный дом Императорский"
(Зарегистрирован 05.04.2024 № 37442)
"Об утверждении границ и режима использования территории объекта культурного наследия федерального значения "Воспитательный дом Императорский"
(Зарегистрирован 05.04.2024 № 37442)
Номер опубликования: 7801202404090024
Дата опубликования:
09.04.2024
