Официальное опубликование правовых актов
ОФИЦИАЛЬНОЕ ОПУБЛИКОВАНИЕ
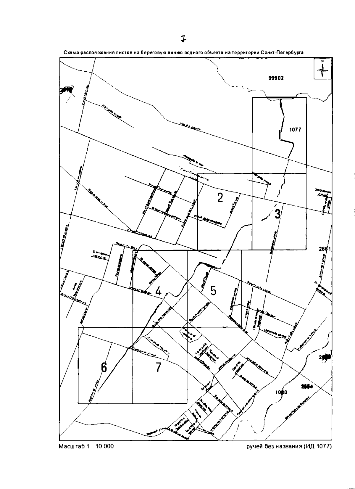
Распоряжение Комитета по природопользованию, охране окружающей среды и обеспечению экологической безопасности Санкт-Петербурга от 21.02.2024 № 40-р
"Об уточнении местоположения береговой линии (границы водного объекта), границы водоохранной зоны и границы прибрежной защитной полосы ручья без названия (ИД 1077) на территории Санкт-Петербурга"
(Зарегистрирован 29.02.2024 № 37117)
Номер опубликования: 7801202403060012
Дата опубликования: 06.03.2024
Страница №9 из 44:
Увеличить