Официальное опубликование правовых актов
ОФИЦИАЛЬНОЕ ОПУБЛИКОВАНИЕ
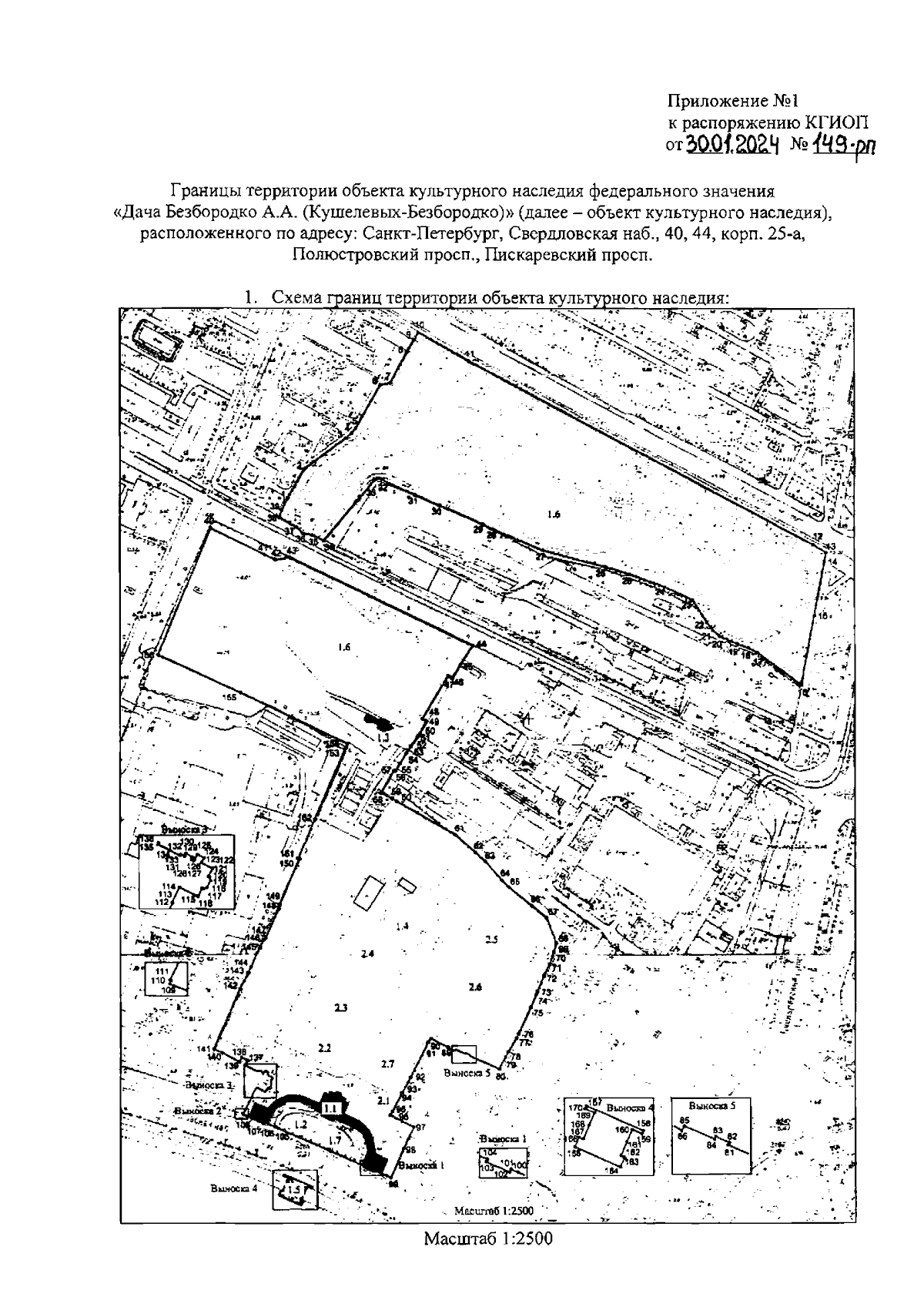
Распоряжение Комитета по государственному контролю, использованию и охране памятников истории и культуры Санкт-Петербурга от 30.01.2024 № 149-рп
"Об утверждении границ и режима использования территории объекта культурного наследия федерального значения "Дача Безбородко А.А. (Кушелевых-Безбородко)"
(Зарегистрирован 30.01.2024 № 36910)
Номер опубликования: 7801202402010012
Дата опубликования: 01.02.2024
Страница №3 из 11:
Увеличить