Официальное опубликование правовых актов
ОФИЦИАЛЬНОЕ ОПУБЛИКОВАНИЕ
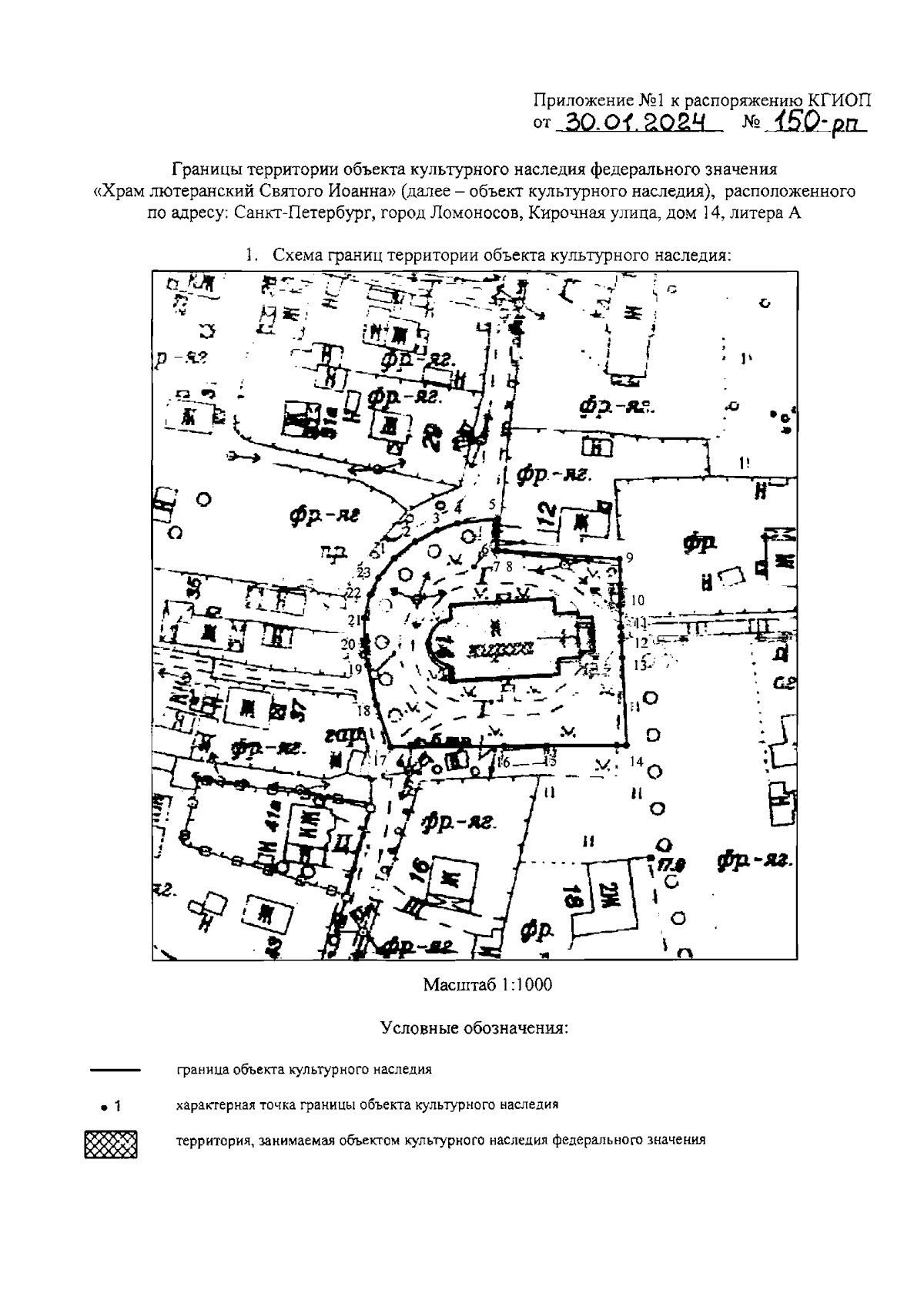
Распоряжение Комитета по государственному контролю, использованию и охране памятников истории и культуры Санкт-Петербурга от 30.01.2024 № 150-рп
"Об утверждении границ и режима использования территории объекта культурного наследия федерального значения "Храм лютеранский Святого Иоанна"
(Зарегистрирован 30.01.2024 № 36911)
Номер опубликования: 7801202402010002
Дата опубликования: 01.02.2024
Страница №3 из 5:
Увеличить