Официальное опубликование правовых актов
ОФИЦИАЛЬНОЕ ОПУБЛИКОВАНИЕ
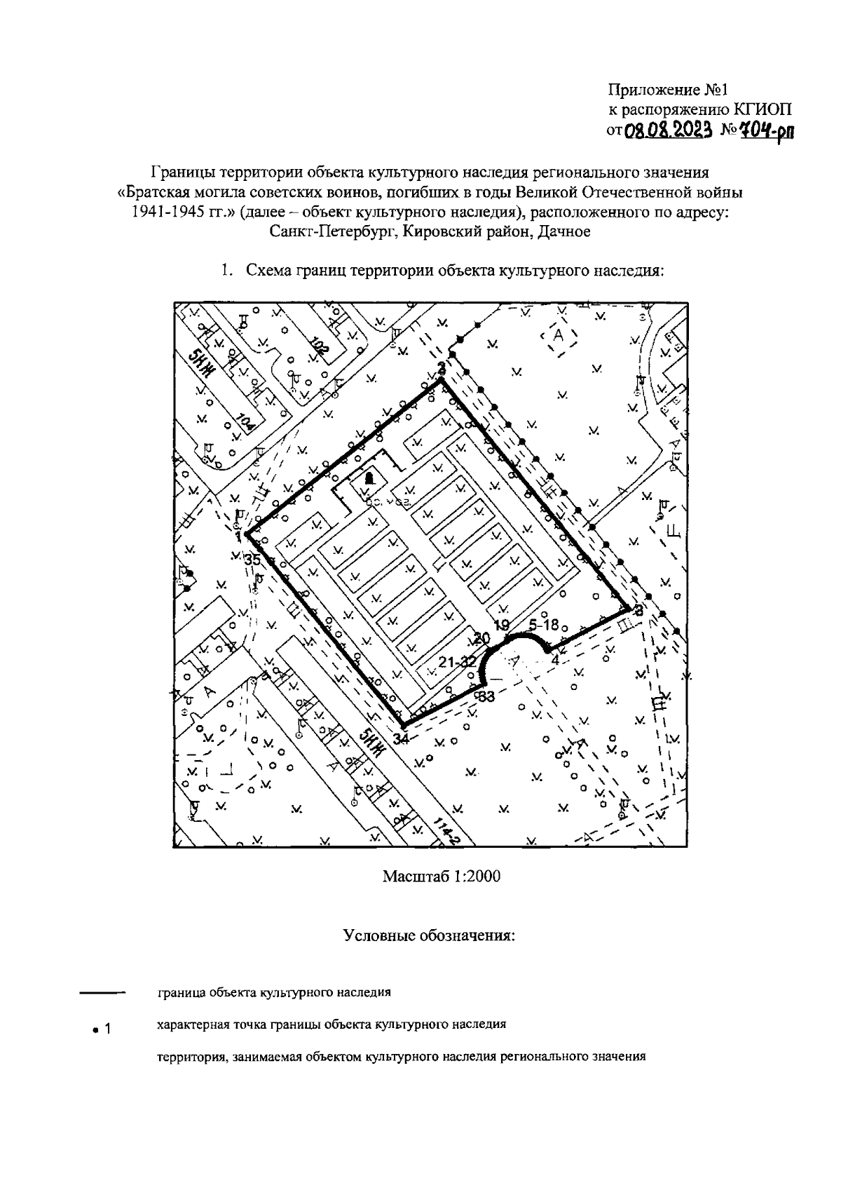
Распоряжение Комитета по государственному контролю, использованию и охране памятников истории и культуры Санкт-Петербурга от 08.08.2023 № 704-рп
"Об утверждении границ и режима использования территории объекта культурного наследия регионального значения "Братская могила советских воинов, погибших в годы Великой Отечественной войны 1941-1945 гг."
(Зарегистрирован 09.08.2023 № 35631)
Номер опубликования: 7801202308110004
Дата опубликования: 11.08.2023
Страница №3 из 5:
Увеличить