Официальное опубликование правовых актов
ОФИЦИАЛЬНОЕ ОПУБЛИКОВАНИЕ
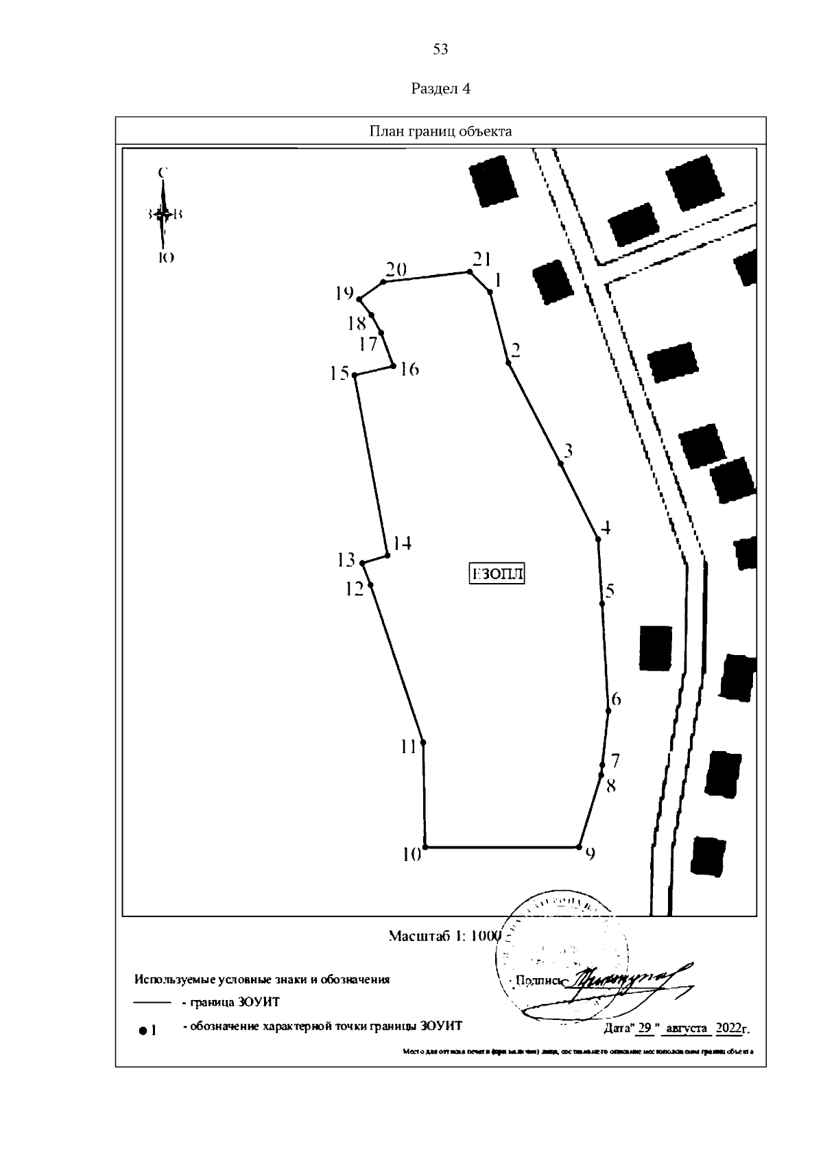
Постановление Правительства Тульской области от 04.09.2023 № 539
"Об установлении объединенной зоны охраны объектов культурного наследия, расположенных на территории г. Белева Тульской области, и утверждении требований к градостроительным регламентам в границах территории данной зоны"
Номер опубликования: 7100202309060007
Дата опубликования: 06.09.2023
Страница №55 из 58:
Увеличить