Официальное опубликование правовых актов
ОФИЦИАЛЬНОЕ ОПУБЛИКОВАНИЕ
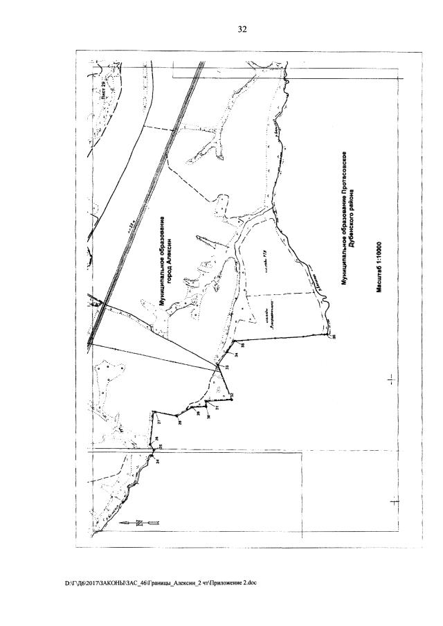
Закон Тульской области от 30.11.2017 № 86-ЗТО
"О внесении изменений в Закон Тульской области "О преобразовании муниципальных образований, расположенных на территории Алексинского района Тульской области"
Номер опубликования: 7100201712050002
Дата опубликования: 05.12.2017
Страница №68 из 96:
Увеличить