Официальное опубликование правовых актов
ОФИЦИАЛЬНОЕ ОПУБЛИКОВАНИЕ
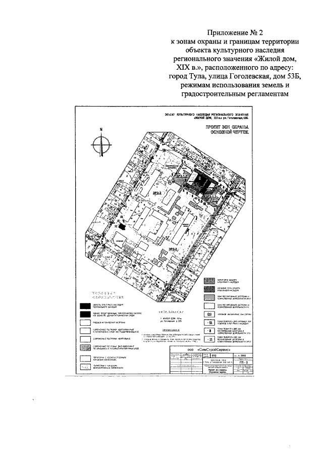
Постановление Правительства Тульской области от 15.03.2017 № 95
"Об утверждении зон охраны и границ территории объекта культурного наследия регионального значения "Жилой дом, XIX в.", расположенного по адресу: город Тула, улица Гоголевская, дом 53Б, режимов использования земель и градостроительных регламентов"
Номер опубликования: 7100201703160002
Дата опубликования: 16.03.2017
Страница №19 из 19:
Увеличить