Официальное опубликование правовых актов
ОФИЦИАЛЬНОЕ ОПУБЛИКОВАНИЕ
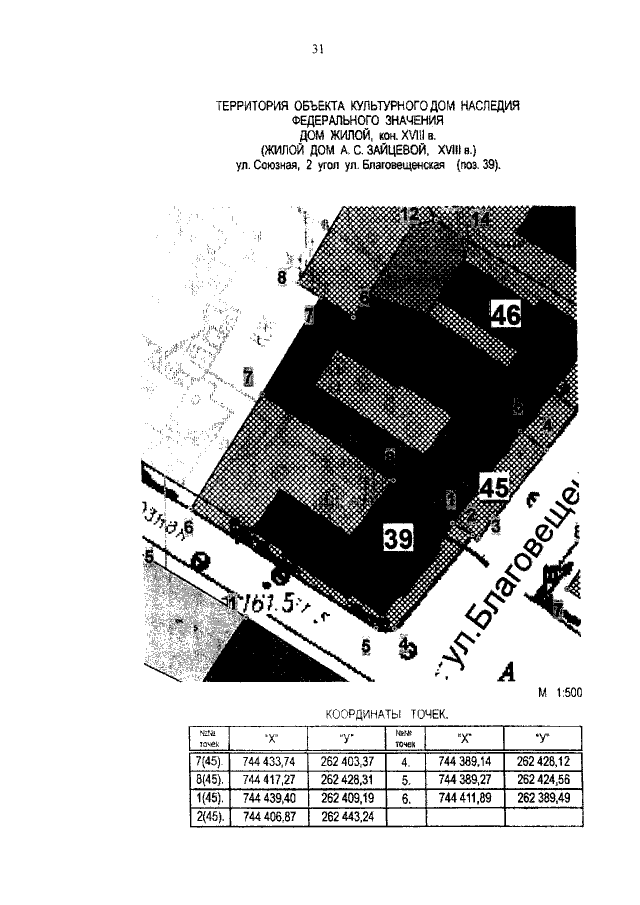
Постановление Правительства Тульской области от 05.04.2016 № 134
"О внесении изменений и дополнения в постановление правительства Тульской области от 01.07.2015 № 304"
Номер опубликования: 7100201604110014
Дата опубликования: 11.04.2016
Страница №33 из 73:
Увеличить