Официальное опубликование правовых актов
ОФИЦИАЛЬНОЕ ОПУБЛИКОВАНИЕ
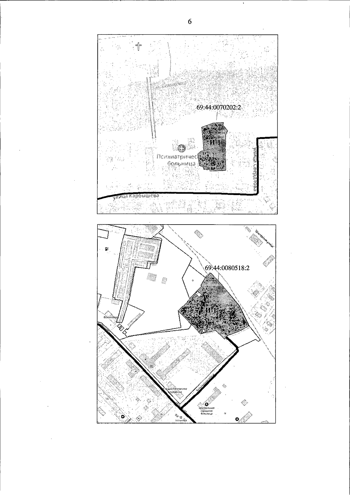
Постановление Правительства Тверской области от 24.10.2025 № 605-пп
"О внесении изменений в постановление Правительства Тверской области от 30.05.2023 № 215-пп"
Номер опубликования: 6900202510270001
Дата опубликования: 27.10.2025
Страница №6 из 18:
Увеличить