Официальное опубликование правовых актов
ОФИЦИАЛЬНОЕ ОПУБЛИКОВАНИЕ
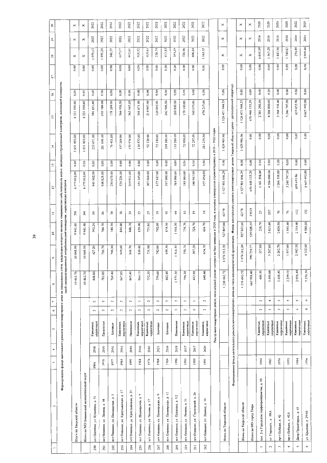
Постановление Правительства Тверской области от 22.06.2022 № 345-пп
"О внесении изменений в постановление Правительства Тверской области от 14.08.2020 № 360-пп"
Номер опубликования: 6900202206230011
Дата опубликования: 23.06.2022
Страница №39 из 117:
Увеличить