Официальное опубликование правовых актов
ОФИЦИАЛЬНОЕ ОПУБЛИКОВАНИЕ
Приказ Департамента по государственной охране объектов культурного наследия Тамбовской области от 31.01.2025 № 49
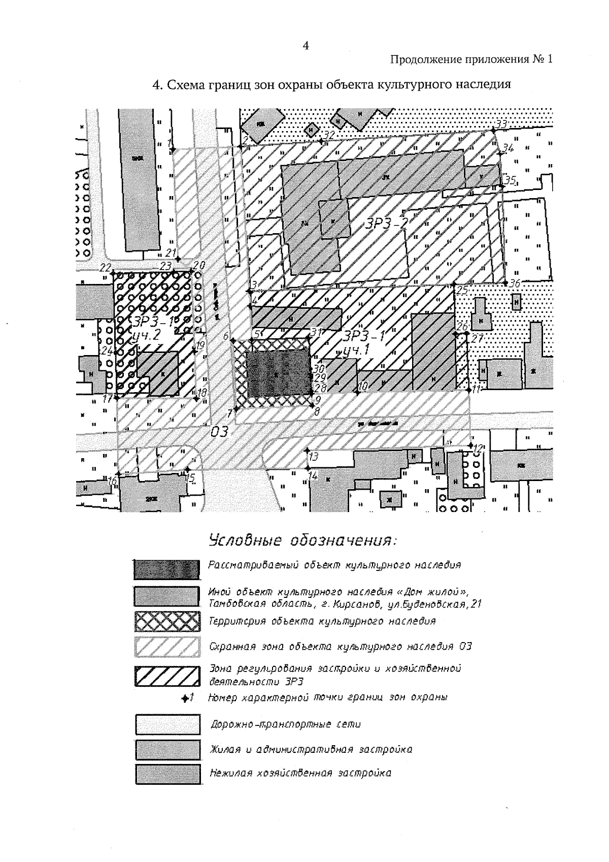
"Об установлении зон охраны объекта культурного наследия регионального значения "Гражданское здание" (Тамбовская область, г. Кирсанов, ул. Советская, д. 1) и утверждении требований к градостроительным регламентам в границах территорий данных зон"
(Зарегистрирован 31.01.2025 № 49)
Номер опубликования: 6801202502040011
Дата опубликования: 04.02.2025
Страница №6 из 11:
Увеличить