Официальное опубликование правовых актов
ОФИЦИАЛЬНОЕ ОПУБЛИКОВАНИЕ
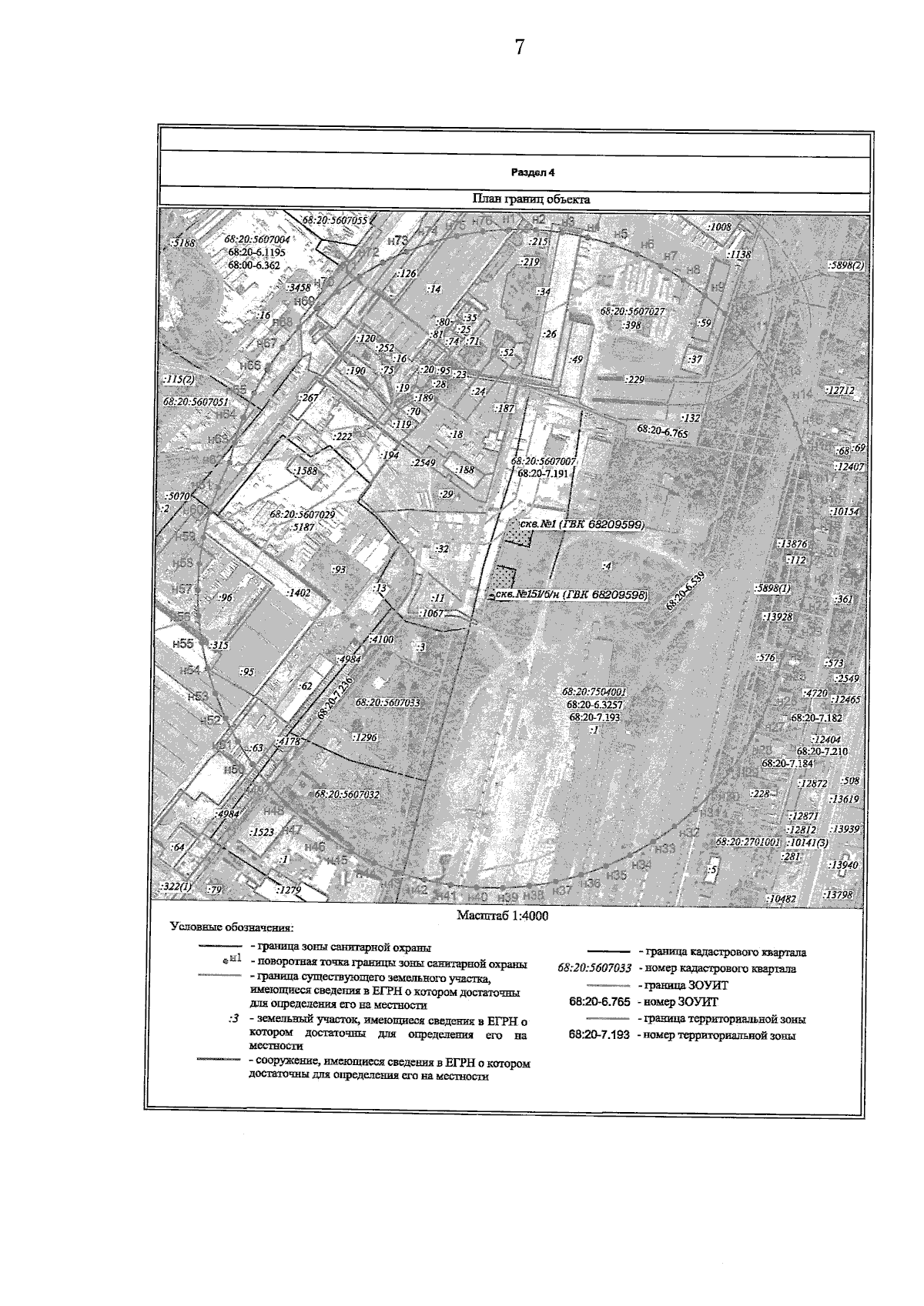
Приказ Министерства экологии и природных ресурсов Тамбовской области от 13.01.2025 № 3
"Об установлении границ и режима зон санитарной охраны действующего водозабора железнодорожной станции Бокино"
(Зарегистрирован 13.01.2025 № 3)
Номер опубликования: 6801202501140005
Дата опубликования: 14.01.2025
Страница №19 из 22:
Увеличить