Официальное опубликование правовых актов
ОФИЦИАЛЬНОЕ ОПУБЛИКОВАНИЕ
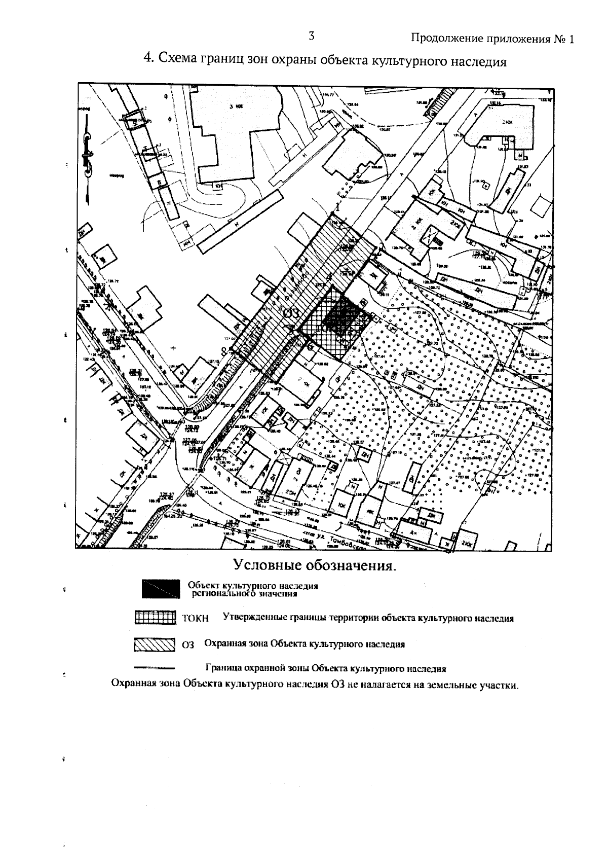
Приказ Департамента по государственной охране объектов культурного наследия Тамбовской области от 06.03.2024 № 79
"Об установлении зон охраны объекта культурного наследия регионального значения "Дом жилой" (Тамбовская область, г. Мичуринск, ул. Филиппова, д. 69) и утверждении требований к градостроительным регламентам в границах территорий данных зон"
(Зарегистрирован 06.03.2024 № 79)
Номер опубликования: 6801202403110010
Дата опубликования: 11.03.2024
Страница №5 из 8:
Увеличить