Официальное опубликование правовых актов
ОФИЦИАЛЬНОЕ ОПУБЛИКОВАНИЕ
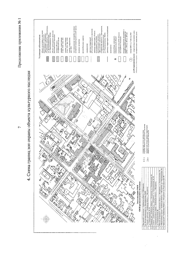
Приказ Управления по государственной охране объектов культурного наследия Тамбовской области от 08.06.2023 № 160
"Об установлении зон охраны объекта культурного наследия регионального значения "Дом жилой с магазином" (Тамбовская область, г. Мичуринск, ул. Интернациональная/ ул. Революционная, д. 94/84) и утверждении требований к градостроительным регламентам в границах территорий данных зон"
(Зарегистрирован 08.06.2023 № 160)
Номер опубликования: 6801202306150001
Дата опубликования: 15.06.2023
Страница №9 из 15:
Увеличить