Официальное опубликование правовых актов
ОФИЦИАЛЬНОЕ ОПУБЛИКОВАНИЕ
Приказ Управления по государственной охране объектов культурного наследия Тамбовской области от 13.03.2023 № 54
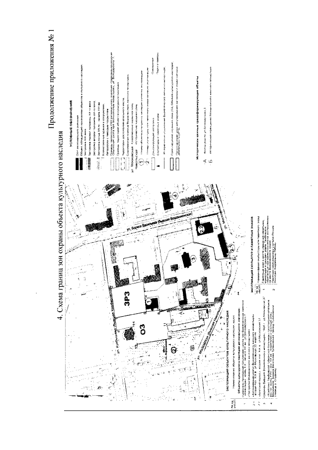
"О внесении изменений в приложение № 1 к приказу управления по государственной охране объектов культурного наследия Тамбовской области от 27.02.2023 № 44 "Об установлении зон охраны объекта культурного наследия регионального значения "Церковно-приходская Ольгинская школа при Вознесенском женском монастыре" (Тамбовская область, г. Тамбов, ул. Володарского, д. 7) и утверждении требований к градостроительным регламентам в границах территорий данных зон"
(Зарегистрирован 13.03.2023 № 54)
Номер опубликования: 6801202303130003
Дата опубликования: 13.03.2023
Страница №6 из 6:
Увеличить