Официальное опубликование правовых актов
ОФИЦИАЛЬНОЕ ОПУБЛИКОВАНИЕ
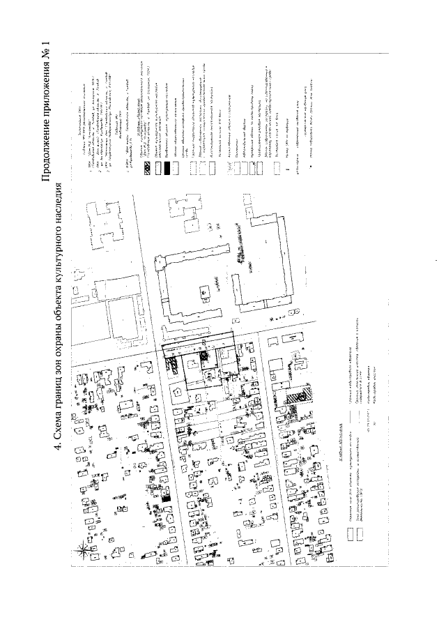
Приказ Управления по государственной охране объектов культурного наследия Тамбовской области от 27.02.2023 № 43
"Об установлении зон охраны объекта культурного наследия регионального значения "Дом М.Д. Чичканова" (Тамбовская область, г.Тамбов, ул.Базарная, 132 А) и утверждении требований к градостроительным регламентам в границах территорий данных зон"
(Зарегистрирован 27.02.2023 № 43)
Номер опубликования: 6801202302280006
Дата опубликования: 28.02.2023
Страница №6 из 11:
Увеличить