Официальное опубликование правовых актов
ОФИЦИАЛЬНОЕ ОПУБЛИКОВАНИЕ
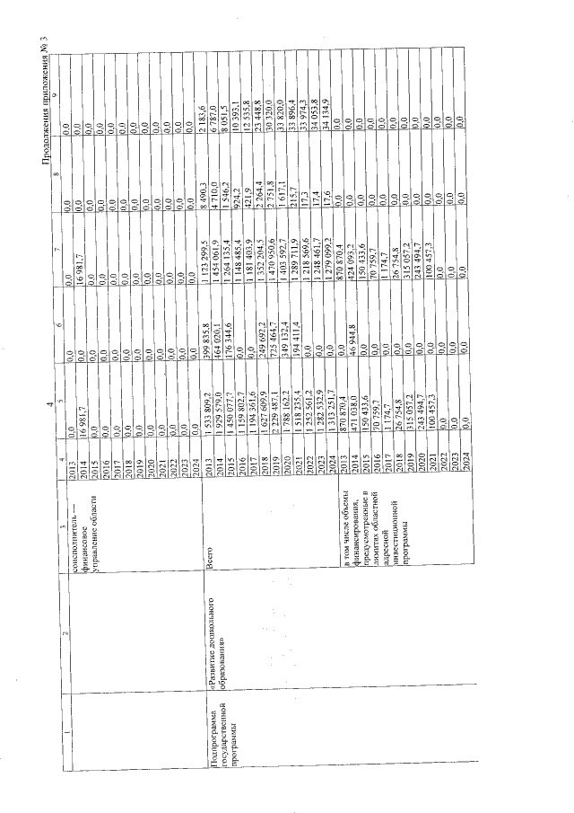
Постановление администрации Тамбовской области от 29.01.2019 № 58
"О внесении изменений в государственную программу Тамбовской области "Развитие образования Тамбовской области"
Номер опубликования: 6800201902010002
Дата опубликования: 01.02.2019
Страница №104 из 112:
Увеличить