Официальное опубликование правовых актов
ОФИЦИАЛЬНОЕ ОПУБЛИКОВАНИЕ
Постановление Правительства Сахалинской области от 04.05.2017 № 193
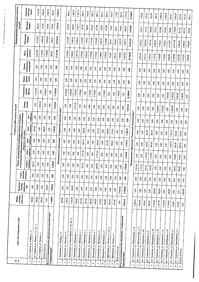
"О внесении изменений в Краткосрочный план реализации региональной программы "Капитальный ремонт общего имущества в многоквартирных домах, расположенных на территории Сахалинской области, на 2014 - 2043 годы", утвержденной постановлением Правительства Сахалинской области от 28.04.2014 № 199, на 2017 год, утвержденный постановлением Правительства Сахалинской области от 06.10.2016 № 499"
Номер опубликования: 6500201705120010
Дата опубликования: 12.05.2017
Страница №7 из 13:
Увеличить