Официальное опубликование правовых актов
ОФИЦИАЛЬНОЕ ОПУБЛИКОВАНИЕ
Постановление Правительства Сахалинской области от 06.10.2016 № 507
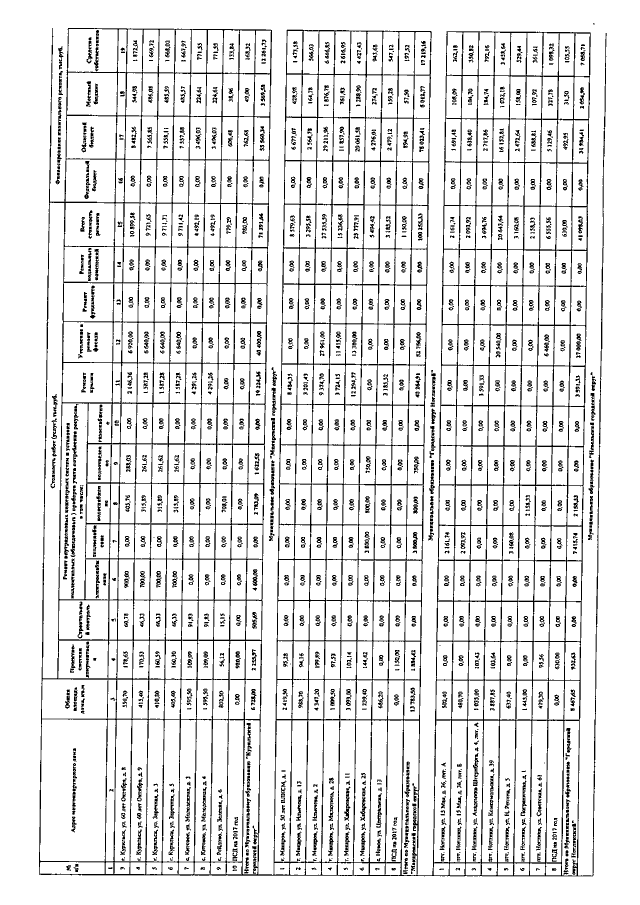
"О внесении изменений в Краткосрочный план реализации региональной программы "Капитальный ремонт общего имущества в многоквартирных домах, расположенных на территории Сахалинской области, на 2014 - 2043 годы", утвержденной постановлением Правительства Сахалинской области от 28.04.2014 № 199, на 2015-2016 годы, утвержденный постановлением Правительства Сахалинской области от 01.12.2014 № 582"
Номер опубликования: 6500201610110009
Дата опубликования: 11.10.2016
Страница №19 из 34:
Увеличить