Официальное опубликование правовых актов
ОФИЦИАЛЬНОЕ ОПУБЛИКОВАНИЕ
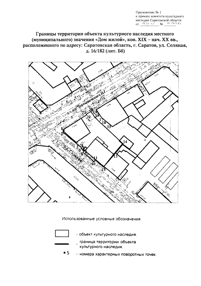
Приказ Комитета культурного наследия Саратовской области от 28.06.2023 № 01-04/266
"О включении выявленного объекта культурного наследия по адресу: Саратовская область, г. Саратов, ул. Соляная, д. 16 (литера Б), в единый государственный реестр объектов культурного наследия (памятников истории и культуры) народов Российской Федерации в категории объекта культурного наследия местного (муниципального) значения, утверждении границ территории, требований к осуществлению деятельности в границах территории объекта культурного наследия и предмета охраны"
(Зарегистрирован 29.06.2023 № 25-2023-1-918)
Номер опубликования: 6401202307070012
Дата опубликования: 07.07.2023
Страница №3 из 13:
Увеличить