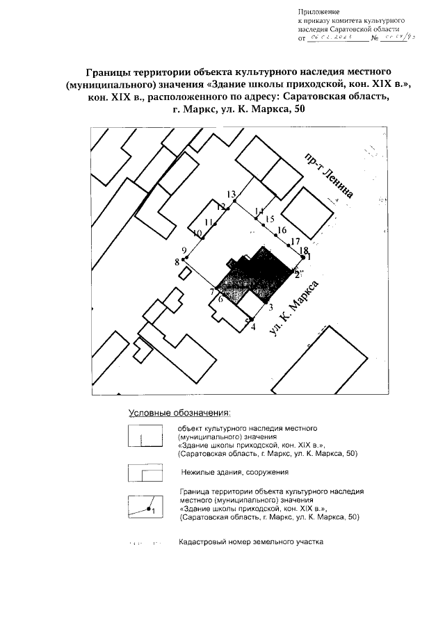
Приказ Комитета культурного наследия Саратовской области от 06.02.2023 № 01-04/45
"Об утверждении границ территории и требований к осуществлению деятельности в границах территории объекта культурного наследия местного (муниципального) значения, расположенного по адресу: Саратовская область, г. Маркс, ул. К. Маркса, 50"
"Об утверждении границ территории и требований к осуществлению деятельности в границах территории объекта культурного наследия местного (муниципального) значения, расположенного по адресу: Саратовская область, г. Маркс, ул. К. Маркса, 50"
Номер опубликования: 6401202302100006
Дата опубликования:
10.02.2023
