Приказ Управления по охране объектов культурного наследия Саратовской области от 04.06.2020 № 01-04/209
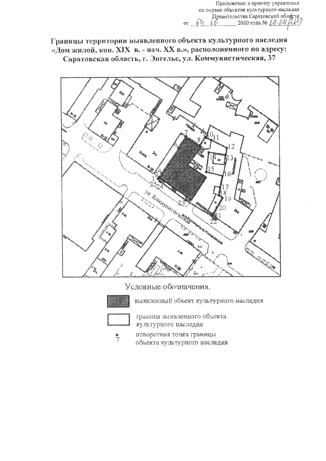
"Об утверждении границ территории выявленного объекта культурного наследия, расположенного по адресу: Саратовская область, г. Энгельс, ул. Коммунистическая, 37"
"Об утверждении границ территории выявленного объекта культурного наследия, расположенного по адресу: Саратовская область, г. Энгельс, ул. Коммунистическая, 37"
Номер опубликования: 6401202006110028
Дата опубликования:
11.06.2020
