Официальное опубликование правовых актов
ОФИЦИАЛЬНОЕ ОПУБЛИКОВАНИЕ
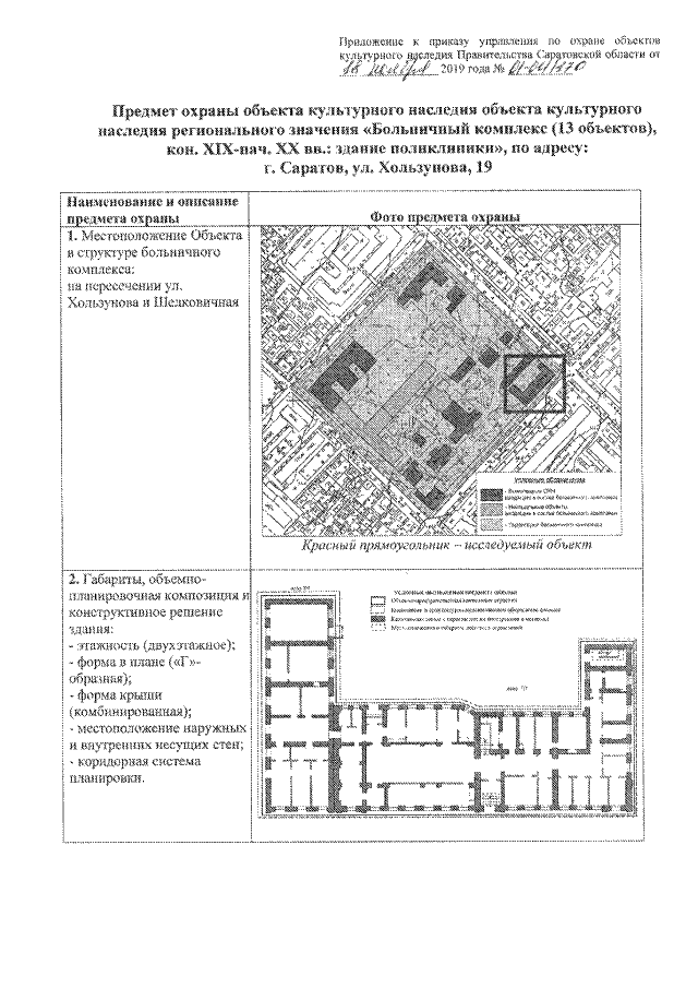
Приказ Управления по охране объектов культурного наследия Саратовской области от 18.11.2019 № 01-04/170
"Об утверждении предмета охраны объекта культурного наследия регионального значения, расположенного по адресу: г. Саратов, ул. Хользунова, 19"
Номер опубликования: 6401201911250007
Дата опубликования: 25.11.2019
Страница №3 из 9:
Увеличить