Официальное опубликование правовых актов
ОФИЦИАЛЬНОЕ ОПУБЛИКОВАНИЕ
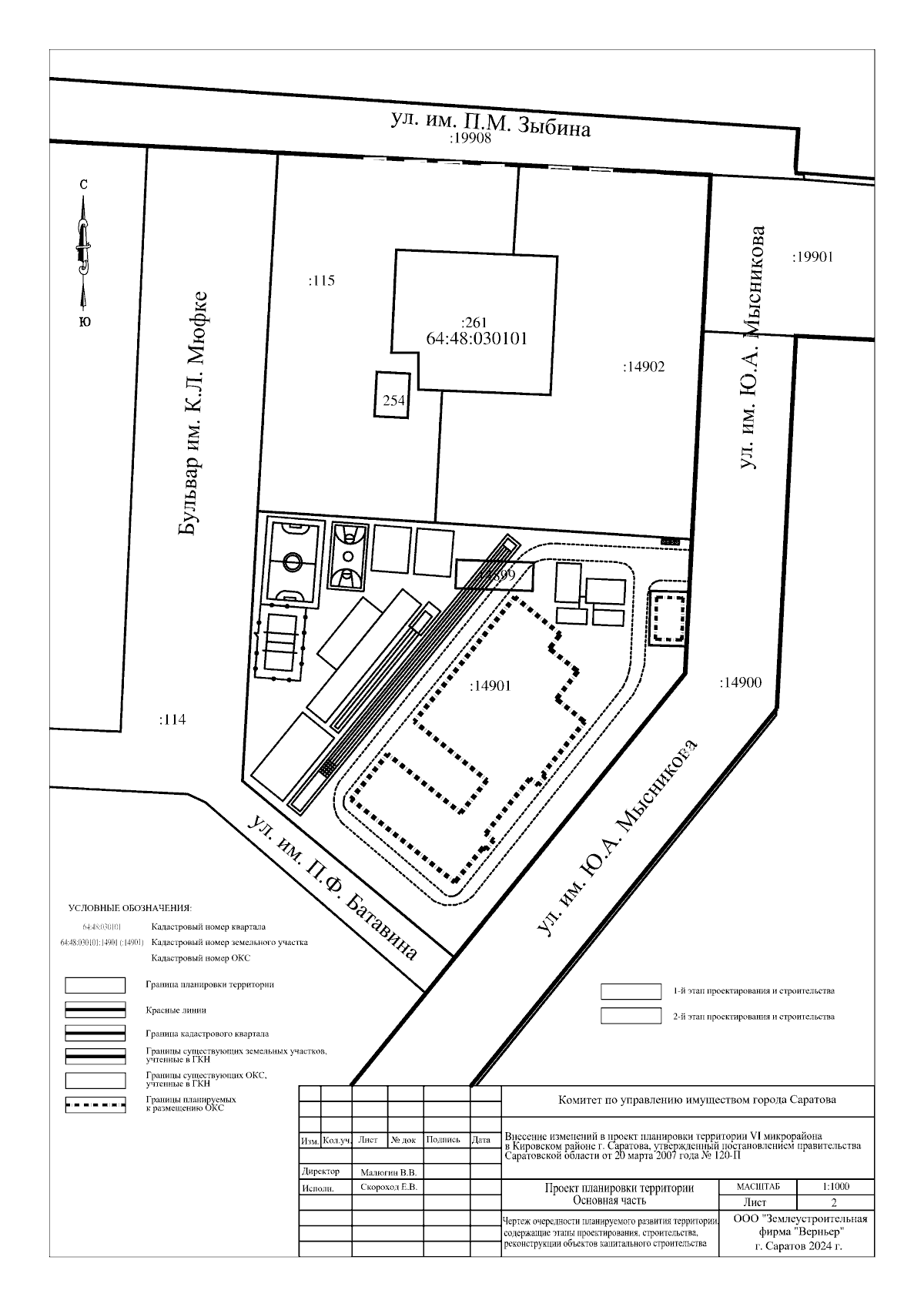
Постановление Правительства Саратовской области от 01.03.2024 № 143-П
"О внесении изменений в постановление Правительства Саратовской области от 20 марта 2007 года № 120-П"
Номер опубликования: 6400202403060021
Дата опубликования: 06.03.2024
Страница №9 из 9:
Увеличить