Официальное опубликование правовых актов
ОФИЦИАЛЬНОЕ ОПУБЛИКОВАНИЕ
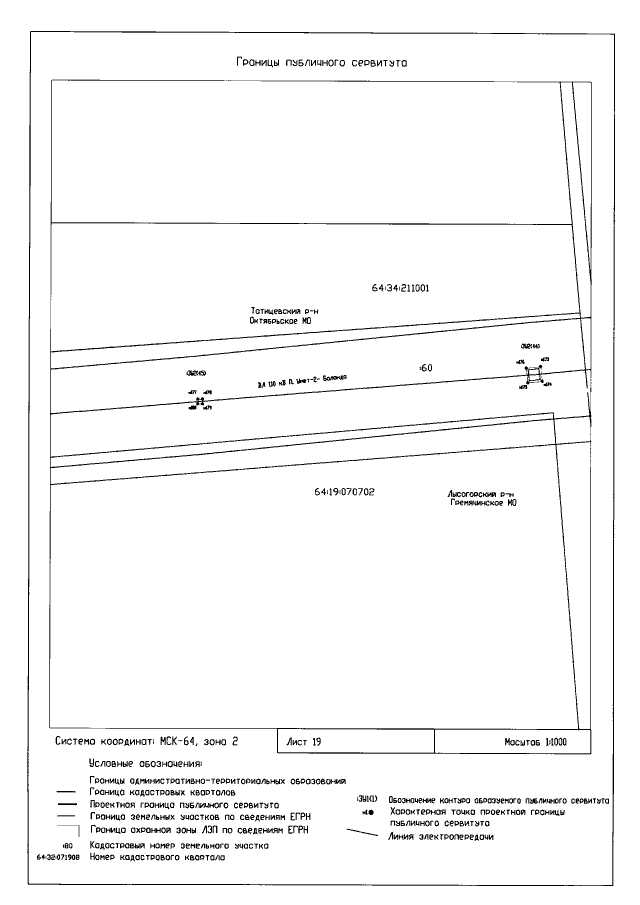
Распоряжение Правительства Саратовской области от 30.03.2020 № 64-Пр
"Об установлении публичного сервитута публичному акционерному обществу "Межрегиональная распределительная сетевая компания Волги" в целях размещения объекта электросетевого хозяйства регионального значения"
Номер опубликования: 6400202004060019
Дата опубликования: 06.04.2020
Страница №47 из 68:
Увеличить